Votre courriel a été envoyé.
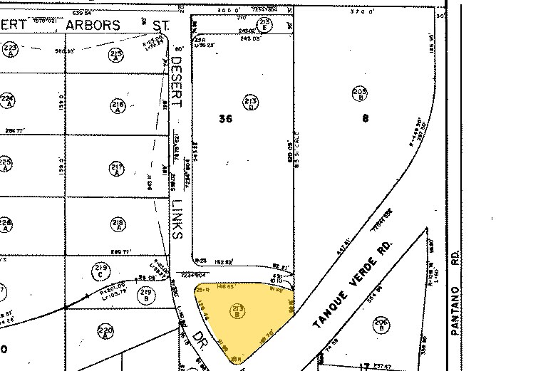
2478 N Desert Links Dr - C-1 Zoned Acreage Lot • Terrain commercial • 0,97 Acres • 644 575 $ CAD • Tucson, AZ 85715



Certaines informations ont été traduites automatiquement.
Faits saillants de l'investissement
- Traffic. Tanque?Verde carries ±30,000 vehicles per day at this stretch
- Flexible C 1 zoning. City of Tucson C 1 allows multiple different retail and office uses
- Affluent, established corridor. Tanque?Verde Valley boasts strong household incomes and a daytime population driven by nearby national grocers, fitnes
- A built in customer base. Two upscale rental communities—Avilla?Tanque?Verde’s detached casitas and Estancia’s resort style apartments—wrap the site o
- Infill efficiency. Level topography, nearby utilities and no demolition hurdles mean you can go from dirt to grand opening with a few less steps
Taxes et dépenses d’exploitation (Réel - 2025) Cliquez ici pour accéder à |
Annuel (CAD) | Annuel par AC (CAD) |
|---|---|---|
| Taxes |
-
|
-
|
| Dépenses d’exploitation |
-
|
-
|
| Total des dépenses |
$99,999
|
$9.99
|
Taxes et dépenses d’exploitation (Réel - 2025) Cliquez ici pour accéder à
| Taxes (CAD) | |
|---|---|
| Annuel | - |
| Annuel par AC | - |
| Dépenses d’exploitation (CAD) | |
|---|---|
| Annuel | - |
| Annuel par AC | - |
| Total des dépenses (CAD) | |
|---|---|
| Annuel | $99,999 |
| Annuel par AC | $9.99 |
Faits sur la propriété
1 Lot disponible
Lot
| Prix | 644 575 $ CAD | Taille du lot | 0,97 AC |
| Prix par AC | 664 510,31 $ CAD |
| Prix | 644 575 $ CAD |
| Prix par AC | 664 510,31 $ CAD |
| Taille du lot | 0,97 AC |
This 42,253 SF pad sits in the spotlight of East Tanque?Verde?Road—one of Tucson’s most travelled arterials—at the hard corner of Tanque?Verde?& Desert?Links. This is an infill jewel—front row exposure and a captive, high income audience already in p
Description
Ce terrain de 42 253 pieds carrés est idéalement situé sur East Tanque Verde Road, l'une des artères les plus fréquentées de Tucson, à l'angle stratégique de Tanque Verde et Desert Links. C'est un véritable bijou en milieu urbain, offrant une visibilité de premier plan et une clientèle captive à revenu élevé déjà présente. Installez-vous ici et laissez le trafic et les résidences de Tanque Verde travailler pour vous.
Impôts fonciers
| Numéro de lot | 114-46-213B | Évaluation des bâtiments | 0 $ CAD (2026) |
| Évaluation du terrain | 0 $ CAD (2026) | Évaluation totale | 26 076 $ CAD (2026) |
Impôts fonciers
Présenté par
2478 N Desert Links Dr - C-1 Zoned Acreage
Hmm, il semble y avoir eu une erreur lors de l’envoi de votre message. Veuillez réessayer.
Merci! Votre message a été envoyé.

