Se Connecter/S’inscrire
Votre courriel a été envoyé.
Certaines informations ont été traduites automatiquement.
Faits saillants de l'investissement
- La propriété a une excellente visibilité et un nombre de trafic élevé.
- Tous les services publics sont à proximité
- It is located in the fast-growing community of Verdigris which is located between Tulsa/Catoosa and Claremore
- Elle est située dans la communauté en pleine croissance de Verdigris, située entre Tulsa/Catoosa et Claremore.
- Envisagera de diviser
- All utilities are nearby
Résumé de l'annonce
Approximately 11.75 acres available in Verdigris.
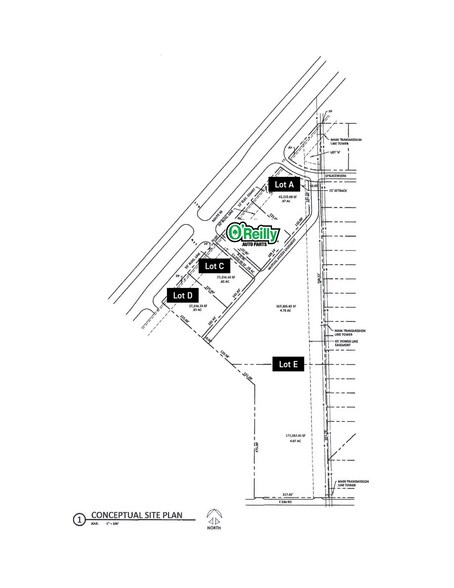
Join O'Reilly Auto Parts.
Three pad sites available with frontage on Highway 66.
Possible uses: RV and/or boat sales, mini storage, multi-family, retail, or
warehouse
Join O'Reilly Auto Parts.
Three pad sites available with frontage on Highway 66.
Possible uses: RV and/or boat sales, mini storage, multi-family, retail, or
warehouse
Faits sur la propriété
1 Lot disponible
Lot 1-
| Prix | 19 $ CAD | Taille du lot | 12,74 AC |
| Prix par AC | 1,50 $ CAD |
| Prix | 19 $ CAD |
| Prix par AC | 1,50 $ CAD |
| Taille du lot | 12,74 AC |
12,74 acres de terrain zoné commercialement avec plus de 624 pieds de façade sur la route 66. Le site est situé entre Verdigris et Claremore, juste au nord de la sortie de l'autoroute 226 de l'Interstate 44.
Description
12.74 acres of commercially zoned land with over 624 feet of frontage on Highway 66. The site is located between Verdigris and Claremore just north of the Highway 226 exit off of Interstate 44.
1 1
Plutôt praticable à pied
20/100
Exceptionnellement facile d’accès en voiture
100/100
Assez praticable en vélo
20/100
Impôts fonciers
| Numéro de lot | 660031420 | Évaluation des bâtiments | 0 $ CAD |
| Évaluation du terrain | 29 903 $ CAD | Évaluation totale | 29 903 $ CAD |
Impôts fonciers
Numéro de lot
660031420
Évaluation du terrain
29 903 $ CAD
Évaluation des bâtiments
0 $ CAD
Évaluation totale
29 903 $ CAD
1 de 4
Vidéos
Visite extérieure 3D Matterport
Visite 3D Matterport
Photos
Vue depuis la rue
Rue
Carte
1 de 1
Présenté par
24855 Oklahoma Rt 66
Vous êtes déjà membre? Connectez-vous
Hmm, il semble y avoir eu une erreur lors de l’envoi de votre message. Veuillez réessayer.
Merci! Votre message a été envoyé.



