Votre courriel a été envoyé.
2500 N Pleasantburg Dr Lot • Terrain commercial • 1,83 Acres • 1 294 090 $ CAD • Greenville, SC 29609



Certaines informations ont été traduites automatiquement.
Faits saillants de l'investissement
- Très visible avec plus de 1 000 pieds de façade sur la promenade N Pleasantburg
- Grande circulation avec plus de 33 300 VPD sur la promenade Pleasantburg
Résumé de l'annonce
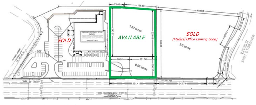
Ce terrain de développement est situé dans la zone de commerce de détail recherchée de Cherrydale, à côté de Home Depot. +-33 300 VPD sur la promenade Pleasantburg, zone C-3. Tous les services publics sont disponibles.
Faits sur la propriété
1 Lot disponible
Lot
| Prix | 1 294 090 $ CAD | Taille du lot | 1,83 AC |
| Prix par AC | 707 153,02 $ CAD |
| Prix | 1 294 090 $ CAD |
| Prix par AC | 707 153,02 $ CAD |
| Taille du lot | 1,83 AC |
Excellent emplacement très fréquenté. le coin a été vendu à un dentiste. C'est la pièce centrale idéale pour les restaurants, l'automobile, les services médicaux, etc.
Description
• +-2,50 ACRES AU COIN DE LA DRIVE PLEASANTBURG ET MONTEBELLO VENDU (Bureau médical à venir) • +-1,83 ACRÈLE DIRECTEMENT ADJUGEANT À VENDRE : 950 000,00$ (comprend +-1,27 acre derrière la coupe en bordure et +-0,56 acre près de la bordure de trottoir) • L'UNE DES RARES PARCELLES DE DÉVELOPPEMENT DISPONIBLES DANS LA ZONE DE COMMERCE DE DÉTAIL RECHERCHÉE DE CHERRYDALE • SITUÉ À CÔTÉ DE HOME DEPOT • ZONÉ C-3 DANS LE COMTÉ DE GREENVILLE • +-35 000 VPJ DIRECTEMENT DEVANT LE SITE • ENTENTE D'ACCÈS CROISÉ EN PLACE SUR L'ENSEMBLE DU SITE DE 7 ACRES, Y COMPRIS LE STATIONNEMENT D'ACHALANDAGE
Impôts fonciers
| Numéro de lot | 0183.03-01-004.00 | Évaluation des bâtiments | 0 $ CAD |
| Évaluation du terrain | 53 830 $ CAD | Évaluation totale | 53 830 $ CAD |
Impôts fonciers
Présenté par
2500 N Pleasantburg Dr
Hmm, il semble y avoir eu une erreur lors de l’envoi de votre message. Veuillez réessayer.
Merci! Votre message a été envoyé.
