Se Connecter/S’inscrire
Votre courriel a été envoyé.
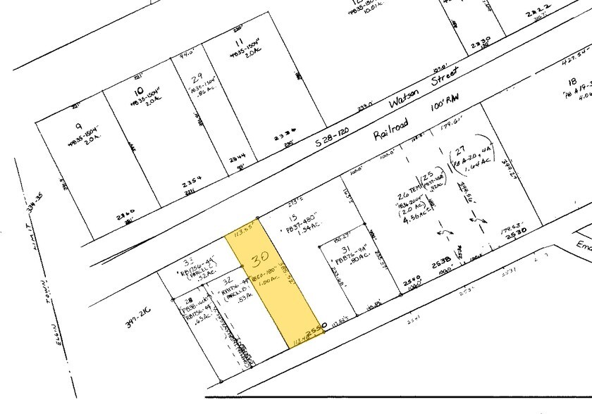
2550 Main St
Elgin, SC 29045
1.0 Acre - Commercial Lot · Terrain À vendre
·
1,00 AC


Certaines informations ont été traduites automatiquement.
Faits sur la propriété
| Type de vente | Investissement | Sous-type de propriété | Terrain commercial |
| Nombre de lots | 1 | Utilisation proposée | |
| Type de propriété | Terrain | Taille totale du lot | 1,00 AC |
| Zonage | MUNICIPAL - Municipal | ||
| Type de vente | Investissement |
| Nombre de lots | 1 |
| Type de propriété | Terrain |
| Sous-type de propriété | Terrain commercial |
| Utilisation proposée | |
| Taille totale du lot | 1,00 AC |
| Zonage | MUNICIPAL - Municipal |
1 Lot disponible
Lot
| Prix | 478 468 $ CAD | Taille du lot | 1,00 AC |
| Prix par AC | 478 467,52 $ CAD |
| Prix | 478 468 $ CAD |
| Prix par AC | 478 467,52 $ CAD |
| Taille du lot | 1,00 AC |
Great property on Main Street in Elgin. Great business opportunity. Zoned GC-2. 109' of Road frontage on US HWY #1
Impôts fonciers
| Numéro de lot | E335-17-00-030 | Évaluation des bâtiments | 0 $ CAD |
| Évaluation du terrain | 205 058 $ CAD | Évaluation totale | 205 058 $ CAD |
Impôts fonciers
Numéro de lot
E335-17-00-030
Évaluation du terrain
205 058 $ CAD
Évaluation des bâtiments
0 $ CAD
Évaluation totale
205 058 $ CAD
1 de 21
Vidéos
Visite extérieure 3D Matterport
Visite 3D Matterport
Photos
Vue depuis la rue
Rue
Carte
