Se Connecter/S’inscrire
Votre courriel a été envoyé.
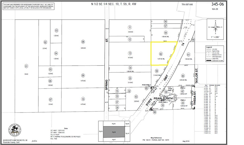
25605 State Highway 74 - 1.97 Acres of Land in Perris, California Lot • Résidentiel • 1,97 Acres • 723 523 $ CAD • Perris, CA 92570


Certaines informations ont été traduites automatiquement.
Résumé de l'annonce
All cash at closing.
Faits sur la propriété
| Prix | 723 523 $ CAD | Sous-type de propriété | Résidentiel |
| Type de vente | Investissement ou propriétaire utilisateur | Utilisation proposée | Maison unifamiliale |
| Nombre de lots | 1 | Taille totale du lot | 1,97 AC |
| Type de propriété | Terrain | ||
| Zonage | RR - Rural Residential | ||
| Prix | 723 523 $ CAD |
| Type de vente | Investissement ou propriétaire utilisateur |
| Nombre de lots | 1 |
| Type de propriété | Terrain |
| Sous-type de propriété | Résidentiel |
| Utilisation proposée | Maison unifamiliale |
| Taille totale du lot | 1,97 AC |
| Zonage | RR - Rural Residential |
1 Lot disponible
Lot
| Prix | 723 523 $ CAD | Taille du lot | 1,97 AC |
| Prix par AC | 367 270,80 $ CAD |
| Prix | 723 523 $ CAD |
| Prix par AC | 367 270,80 $ CAD |
| Taille du lot | 1,97 AC |
1.97 Acres of RR Zoned Land in Perris, California Abbreviated Description: SEC/TWN/RNG/MER:SEC 10 TWN 05S RNG 04W 1.97 ACRES M/L IN POR SE 1/4 OF SEC 10 T5S R4W FOR TOTAL DESCRIPTION SEE ASSESSORS MAPS
1 1
Impraticable à pied
10/100
Exceptionnellement facile d'accès en voiture
100/100
Transports en commun limités
30/100
Impraticable en vélo
10/100
Impôts fonciers
| Numéro de lot | 345-060-062 | Évaluation des bâtiments | 0 $ CAD |
| Évaluation du terrain | 121 445 $ CAD | Évaluation totale | 121 445 $ CAD |
Impôts fonciers
Numéro de lot
345-060-062
Évaluation du terrain
121 445 $ CAD
Évaluation des bâtiments
0 $ CAD
Évaluation totale
121 445 $ CAD
1 de 3
Vidéos
Visite extérieure 3D Matterport
Visite 3D Matterport
Photos
Vue depuis la rue
Rue
Carte
1 de 1
Présenté par
25605 State Highway 74 - 1.97 Acres of Land in Perris, California
Vous êtes déjà membre? Connectez-vous
Hmm, il semble y avoir eu une erreur lors de l’envoi de votre message. Veuillez réessayer.
Merci! Votre message a été envoyé.
