Se Connecter/S’inscrire
Votre courriel a été envoyé.
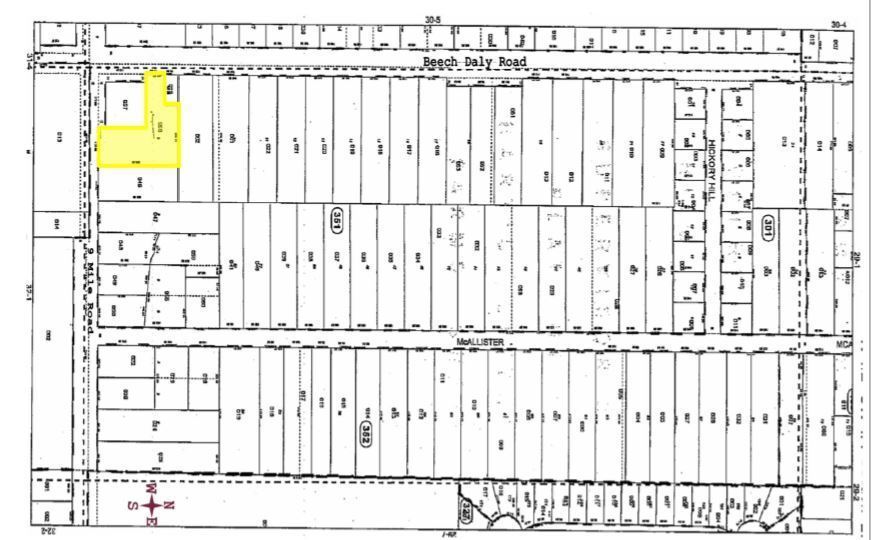
Vacant Land 25676 Nine Mile rd Terrain à louer de 1,43 acres • Terrain commercial • Southfield, MI 48033


Certaines informations ont été traduites automatiquement.
Faits saillants
- Excellent projet de développement sur le NEC du chemin Beech et du chemin 9 Mile.
- 1.43 Acres de terrain vacant
LOT Disponible
Afficher les taux de location en
| Taux de location |
|
Taille du lot | 1,43 AC |
| Durée du bail | Négociable |
| Taux de location | |
| Durée du bail | Négociable |
| Taille du lot | 1,43 AC |
Aperçu de la propriété
1.43 Acres de terrain vacant. Excellente occasion de développement sur le NEC de Beech Road et 9 Mile Road.
Faits sur la propriété
| Superficie totale disponible | 1,43 AC | Sous-type de propriété | Terrain commercial |
| Type de propriété | Terrain |
| Superficie totale disponible | 1,43 AC |
| Type de propriété | Terrain |
| Sous-type de propriété | Terrain commercial |
1 1
1 de 3
Vidéos
Visite extérieure 3D Matterport
Visite 3D Matterport
Photos
Vue depuis la rue
Rue
Carte
1 de 1
Présenté par
Vacant Land | 25676 Nine Mile rd
Vous êtes déjà membre? Connectez-vous
Hmm, il semble y avoir eu une erreur lors de l’envoi de votre message. Veuillez réessayer.
Merci! Votre message a été envoyé.
Votre message a été envoyé !
Activez votre compte LoopNet dès maintenant pour suivre les propriétés, recevoir des alertes en temps réel, gagner du temps sur vos demandes futures et bien plus encore.
