Se Connecter/S’inscrire
Votre courriel a été envoyé.
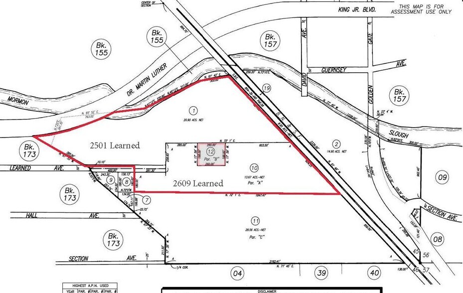
2609 Learned Ave
Stockton, CA 95205
Terrain À vendre
·
34,57 AC


Certaines informations ont été traduites automatiquement.
Faits saillants de l'investissement
- Emplacement intercalaire central
- Identifié dans les documents de planification de Stockton pour les résidences unifamiliales
Résumé de l'annonce
Utility Services nécessiterait l'annexion à la ville de Stockton et à la California Water Service Company.
Le zonage est AU-20, Agriculture-Urban Reserve avec un minimum de 20 acres, et le plan général de Stockton City pour la région est résidentiel à faible densité.
Les propriétaires envisageront une option à court terme pour permettre à l'acheteur de traiter une demande d'annexion.
Le zonage est AU-20, Agriculture-Urban Reserve avec un minimum de 20 acres, et le plan général de Stockton City pour la région est résidentiel à faible densité.
Les propriétaires envisageront une option à court terme pour permettre à l'acheteur de traiter une demande d'annexion.
Faits sur la propriété Sous contrat
| Type de vente | Investissement | Utilisation proposée | Développement familial unique |
| Nombre de lots | 1 | Taille totale du lot | 34,57 AC |
| Type de propriété | Terrain | Nombre d’étages | 1 |
| Sous-type de propriété | Résidentiel | Zone de développement économique |
Oui
|
| Zonage | AU-20 - Le zonage est AU-20, Agriculture-Urban Reserve avec un minimum de 20 acres, et le plan général de Stockton City pour la région est résidentiel à faible densité. | ||
| Type de vente | Investissement |
| Nombre de lots | 1 |
| Type de propriété | Terrain |
| Sous-type de propriété | Résidentiel |
| Utilisation proposée | Développement familial unique |
| Taille totale du lot | 34,57 AC |
| Nombre d’étages | 1 |
| Zone de développement économique |
Oui |
| Zonage | AU-20 - Le zonage est AU-20, Agriculture-Urban Reserve avec un minimum de 20 acres, et le plan général de Stockton City pour la région est résidentiel à faible densité. |
1 Lot disponible
Lot
| Prix | 3 714 595 $ CAD | Taille du lot | 34,57 AC |
| Prix par AC | 107 451,40 $ CAD |
| Prix | 3 714 595 $ CAD |
| Prix par AC | 107 451,40 $ CAD |
| Taille du lot | 34,57 AC |
Le domaine Woody est situé à l'intérieur des limites de la sphère d'influence et des services urbains de la ville de Stockton. La propriété se compose de deux parcelles, 20,9 et 13,67 acres, pour un total de 34,57 acres.
Description
La propriété est bordée de quartiers résidentiels unifamiliaux subdivisés et est une propriété intercalaire.
Impôts fonciers
| Numéros de lot | Évaluation des bâtiments | 127 607 $ CAD | |
| Évaluation du terrain | 630 938 $ CAD | Évaluation totale | 758 545 $ CAD |
Impôts fonciers
Numéros de lot
Évaluation du terrain
630 938 $ CAD
Évaluation des bâtiments
127 607 $ CAD
Évaluation totale
758 545 $ CAD
1 de 3
Vidéos
Visite extérieure 3D Matterport
Visite 3D Matterport
Photos
Vue depuis la rue
Rue
Carte
