Votre courriel a été envoyé.
Certaines informations ont été traduites automatiquement.
FAITS SAILLANTS DE L'INVESTISSEMENT
- Secteur de croissance du commerce de détail
- Après le développement
- High-growth retail area – surrounded by new and upcoming development
- Services publics jusqu'au site
- Site préconçu
- Access from I-20 and major thoroughfares.
RÉSUMÉ DE L'ANNONCE
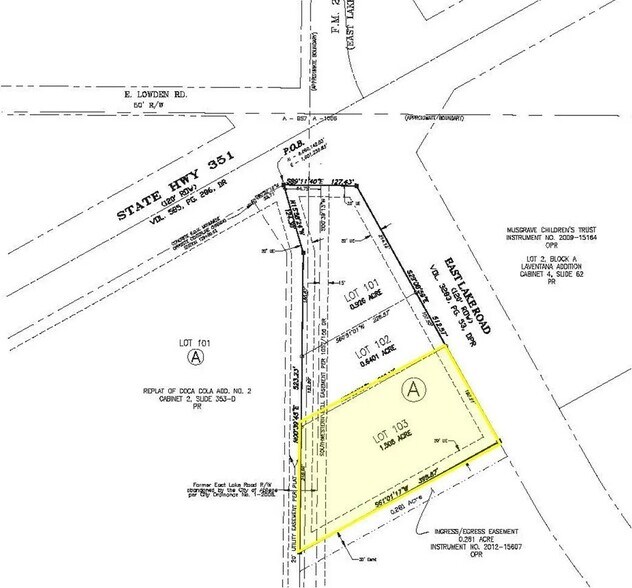
Situé dans le nord-est d'Abilene, près de l'I-20, à l'intersection de l'autoroute 351 et du chemin East Lake.
FAITS SUR LA PROPRIÉTÉ
1 LOT DISPONIBLE
Lot
| Prix | 810 894 $ CAD | Taille du lot | 1,50 AC |
| Prix par AC | 540 595,71 $ CAD |
| Prix | 810 894 $ CAD |
| Prix par AC | 540 595,71 $ CAD |
| Taille du lot | 1,50 AC |
Site préaménagé situé dans le nord-est d'Abilene, près de l'I-20, à l'intersection de la route 351 et du chemin East Lake. Parcelle de 1,55 acre avec option de construction adaptée entre Heff's Burgers et Betty Roses BBQ.
DESCRIPTION
Situé dans le nord-est d'Abilene, près de l'I-20, à l'intersection de l'autoroute 351 et du chemin East Lake, entre Heff's Burgers et Betty Roses BBQ. Site préaménagé situé dans le nord-est d'Abilene, près de l'I-20, à l'intersection de la route 351 et du chemin East Lake. Parcelle de 1,5 ± acre.
Impôts fonciers
| Numéro de lot | 1085046 | Évaluation des bâtiments | 1 011 246 $ CAD |
| Évaluation du terrain | 392 514 $ CAD | Évaluation totale | 1 403 760 $ CAD |
Impôts fonciers
Présenté par
2634 E Lake Rd
Hmm, il semble y avoir eu une erreur lors de l’envoi de votre message. Veuillez réessayer.
Merci! Votre message a été envoyé.




