Se Connecter/S’inscrire
Votre courriel a été envoyé.
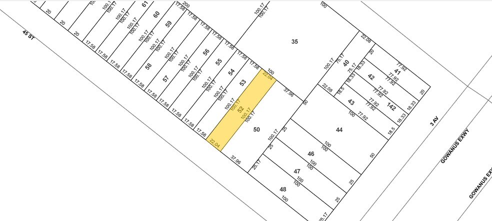
265 45th St
Brooklyn, NY 11220
Industriel Propriété À vendre


Certaines informations ont été traduites automatiquement.
Faits sur la propriété
| Type de vente | Investissement ou propriétaire utilisateur | Aire du bâtiment louable | 2 200 pi² |
| Type de propriété | Industriel | Nombre d’étages | 1 |
| Sous-type de propriété | Entrepôt | Année de construction | 1958 |
| Classe d’immeuble | B | Location | Unique |
| Taille du lot | 0,05 AC | Zone de développement économique |
Oui
|
| Zonage | M1-2D - M1 est un district de zonage de fabrication légère ayant des utilisations manufacturières, commerciales et communautaires. | ||
| Type de vente | Investissement ou propriétaire utilisateur |
| Type de propriété | Industriel |
| Sous-type de propriété | Entrepôt |
| Classe d’immeuble | B |
| Taille du lot | 0,05 AC |
| Aire du bâtiment louable | 2 200 pi² |
| Nombre d’étages | 1 |
| Année de construction | 1958 |
| Location | Unique |
| Zone de développement économique |
Oui |
| Zonage | M1-2D - M1 est un district de zonage de fabrication légère ayant des utilisations manufacturières, commerciales et communautaires. |
Impôts fonciers
| Numéro de lot | 00736-0052 | Évaluation des bâtiments | 146 234 $ CAD |
| Évaluation du terrain | 54 298 $ CAD | Évaluation totale | 200 532 $ CAD |
Impôts fonciers
Numéro de lot
00736-0052
Évaluation du terrain
54 298 $ CAD
Évaluation des bâtiments
146 234 $ CAD
Évaluation totale
200 532 $ CAD
1 de 5
Vidéos
Visite extérieure 3D Matterport
Visite 3D Matterport
Photos
Vue depuis la rue
Rue
Carte
