Votre courriel a été envoyé.
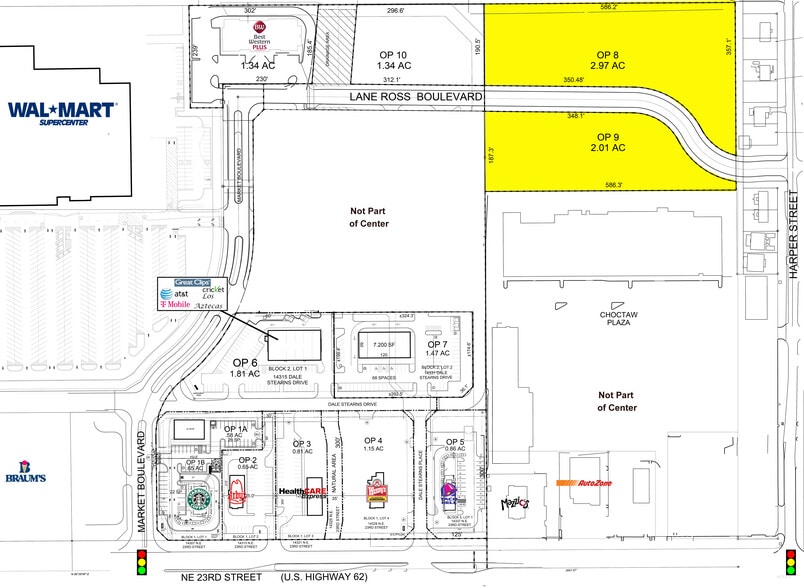
2655 Lane Ross Blvd - Outparcels - Choctaw Marketplace Lots • Terrain commercial • 2,01-2,97 Acre • 837 552 $-1 116 736 $ CAD par lot • Choctaw, OK 73020


Certaines informations ont été traduites automatiquement.
FAITS SAILLANTS DE L'INVESTISSEMENT
- Construction of Lane Ross Blvd
- Utilities are available at the property line
- Parcels are graded
- Stormwater conveyance installed
RÉSUMÉ DE L'ANNONCE
As one of the oldest chartered towns in Oklahoma, Choctaw blends small-town charm with the strategic benefits of proximity to a major market. With a surge in population growth, infrastructure investment, and retail momentum, this property is ideally positioned for:
? Medical Offices or Clinics ? Hospitality / Hotel Development
? Self-Storage Facilities ? Senior Garden Homes or Assisted Living
Choctaw continues to attract both families and developers thanks to its business-friendly climate, access to I-40, and expanding residential base. This is the kind of location where your project won’t just succeed — it will thrive.
FAITS SUR LA PROPRIÉTÉ
2 LOTS DISPONIBLES
Lot 8
| Prix | 1 116 736 $ CAD | Taille du lot | 2,97 AC |
| Prix par AC | 376 005,40 $ CAD |
| Prix | 1 116 736 $ CAD |
| Prix par AC | 376 005,40 $ CAD |
| Taille du lot | 2,97 AC |
Lot 8 - 2.97 acres Construction of Lane Ross Blvd Parcel is graded Utilities are available at the property line Stormwater conveyance installed
Lot 9
| Prix | 837 552 $ CAD | Taille du lot | 2,01 AC |
| Prix par AC | 416 692,55 $ CAD |
| Prix | 837 552 $ CAD |
| Prix par AC | 416 692,55 $ CAD |
| Taille du lot | 2,01 AC |
Lot 9 - 2.01 acres Construction of Lane Ross Blvd Parcel is graded Utilities are available at the property line Stormwater conveyance installed
DESCRIPTION
Situé à l'intersection de NE 23rd Street et Market Boulevard, ce site de choix à Choctaw, Oklahoma, offre une opportunité exceptionnelle pour le développement médical et hôtelier dans un marché en forte croissance. À seulement 14 miles du centre-ville d'Oklahoma City et 8 miles de la base aérienne de Tinker, la région attire des professionnels, des navetteurs et des visiteurs en quête de services de santé de qualité et d'hébergements. Avec un revenu moyen des ménages impressionnant de 107 587 $ dans un rayon de 3 miles, Choctaw dispose d'une base de consommateurs solide avec une demande pour des commodités haut de gamme. De plus, Walmart, le principal détaillant de la région, attire 1,8 million de visiteurs par an, garantissant un trafic constant et une visibilité accrue. Cet emplacement très visible et accessible est idéal pour un hôtel ou une installation médicale souhaitant tirer parti de l'expansion économique de la ville et de la demande croissante pour des services. Construction de Lane Ross Blvd Les parcelles sont nivelées Les services publics sont disponibles à la limite de la propriété Système de gestion des eaux pluviales installé
Présenté par
2655 Lane Ross Blvd - Outparcels - Choctaw Marketplace
Hmm, il semble y avoir eu une erreur lors de l’envoi de votre message. Veuillez réessayer.
Merci! Votre message a été envoyé.
