Se Connecter/S’inscrire
Votre courriel a été envoyé.
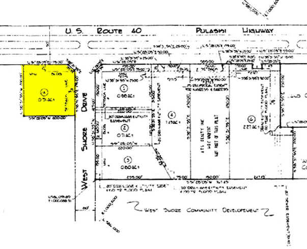
2707 Pulaski Hwy - B-3 Zoned Acreage Lot • Terrain commercial • 0,91 Acres • 480 368 $ CAD • Edgewood, MD 21040



Certaines informations ont été traduites automatiquement.
Faits saillants de l'investissement
- Zone à fort trafic
Résumé de l'annonce
Terrain commercial de premier choix à vendre — Visibilité exceptionnelle et trafic élevé. Cette parcelle rare de 0,91 acre offre un emplacement privilégié à l'angle à circulation contrôlée de l'autoroute Pulaski et de la promenade Westshore, directement en face du très animé Home Depot à Edgewood. Bénéficiant d'une façade routière d'environ 350 pieds, cette propriété est située dans l'une des intersections les plus fréquentées de la région, assurant une exposition maximale à toute entreprise. Zonée B-3 General Business District, la propriété permet un large éventail d'utilisations commerciales, y compris, mais sans s'y limiter, le commerce de détail, les services et les opérations commerciales. Les utilisations autorisées sur le site comprennent des lavages d'autos, des stations-service, des ventes d'automobiles et plus encore, ce qui en fait une occasion d'investissement très polyvalente — les acheteurs confirment auprès du comté. Avec son emplacement stratégique et sa visibilité incroyable, cette propriété est un choix idéal pour les entrepreneurs et les investisseurs qui cherchent à capitaliser sur une zone à fort trafic. Ne manquez pas votre chance de sécuriser ce site exceptionnel dans un corridor commercial en plein essor.
Taxes et dépenses d’exploitation (Réel - 2024) Cliquez ici pour accéder à |
Annuel (CAD) | Annuel par AC (CAD) |
|---|---|---|
| Taxes |
-
|
-
|
| Dépenses d’exploitation |
-
|
-
|
| Total des dépenses |
$99,999
|
$9.99
|
Taxes et dépenses d’exploitation (Réel - 2024) Cliquez ici pour accéder à
| Taxes (CAD) | |
|---|---|
| Annuel | - |
| Annuel par AC | - |
| Dépenses d’exploitation (CAD) | |
|---|---|
| Annuel | - |
| Annuel par AC | - |
| Total des dépenses (CAD) | |
|---|---|
| Annuel | $99,999 |
| Annuel par AC | $9.99 |
Faits sur la propriété
| Prix | 480 368 $ CAD | Sous-type de propriété | Terrain commercial |
| Type de vente | Propriétaire utilisateur | Taille totale du lot | 0,91 AC |
| Nombre de lots | 1 | Rues transversales | Sand Pebble |
| Type de propriété | Terrain | ||
| Zonage | B-3, County - B-3 General Business District | ||
| Prix | 480 368 $ CAD |
| Type de vente | Propriétaire utilisateur |
| Nombre de lots | 1 |
| Type de propriété | Terrain |
| Sous-type de propriété | Terrain commercial |
| Taille totale du lot | 0,91 AC |
| Rues transversales | Sand Pebble |
| Zonage | B-3, County - B-3 General Business District |
1 Lot disponible
Lot
| Prix | 480 368 $ CAD | Taille du lot | 0,91 AC |
| Prix par AC | 527 876,94 $ CAD |
| Prix | 480 368 $ CAD |
| Prix par AC | 527 876,94 $ CAD |
| Taille du lot | 0,91 AC |
Terrain commercial de premier choix à vendre — Visibilité exceptionnelle et trafic élevé. Cette parcelle rare de 0,91 acre offre un emplacement privilégié à l'angle à circulation contrôlée de l'autoroute Pulaski et du quartier général des affaires B-3 de Westshore Drive.
1 1
Plutôt practicable à pied
30/100
Exceptionnellement facile d'accès en voiture
100/100
Transports en commun limités
30/100
Assez praticable en vélo
30/100
Impôts fonciers
| Numéro de lot | 01-088513 | Évaluation des bâtiments | 0 $ CAD (2025) |
| Évaluation du terrain | 408 224 $ CAD (2025) | Évaluation totale | 408 224 $ CAD (2025) |
Impôts fonciers
Numéro de lot
01-088513
Évaluation du terrain
408 224 $ CAD (2025)
Évaluation des bâtiments
0 $ CAD (2025)
Évaluation totale
408 224 $ CAD (2025)
1 de 14
Vidéos
Visite extérieure 3D Matterport
Visite 3D Matterport
Photos
Vue depuis la rue
Rue
Carte
1 de 1
Présenté par
Black Dog Realty, Llc
2707 Pulaski Hwy - B-3 Zoned Acreage
Vous êtes déjà membre? Connectez-vous
Hmm, il semble y avoir eu une erreur lors de l’envoi de votre message. Veuillez réessayer.
Merci! Votre message a été envoyé.
