Se Connecter/S’inscrire
Votre courriel a été envoyé.
2719 Ashley Rd
Charlotte, NC 28208
Ashley Green · Terrain À vendre
·
1,00 AC


Certaines informations ont été traduites automatiquement.
FAITS SAILLANTS DE L'INVESTISSEMENT
- Infill Development Site
- Flexible Zoning allowing density
- Opportunity Zone
- Hard Corner Lot
- Full entitlements in place
- Future light rail connectivity
RÉSUMÉ DE L'ANNONCE
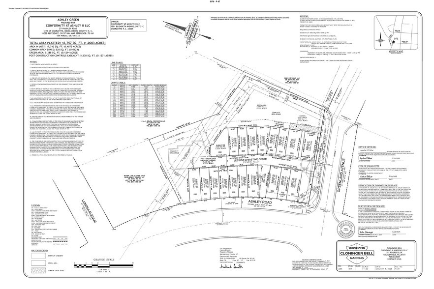
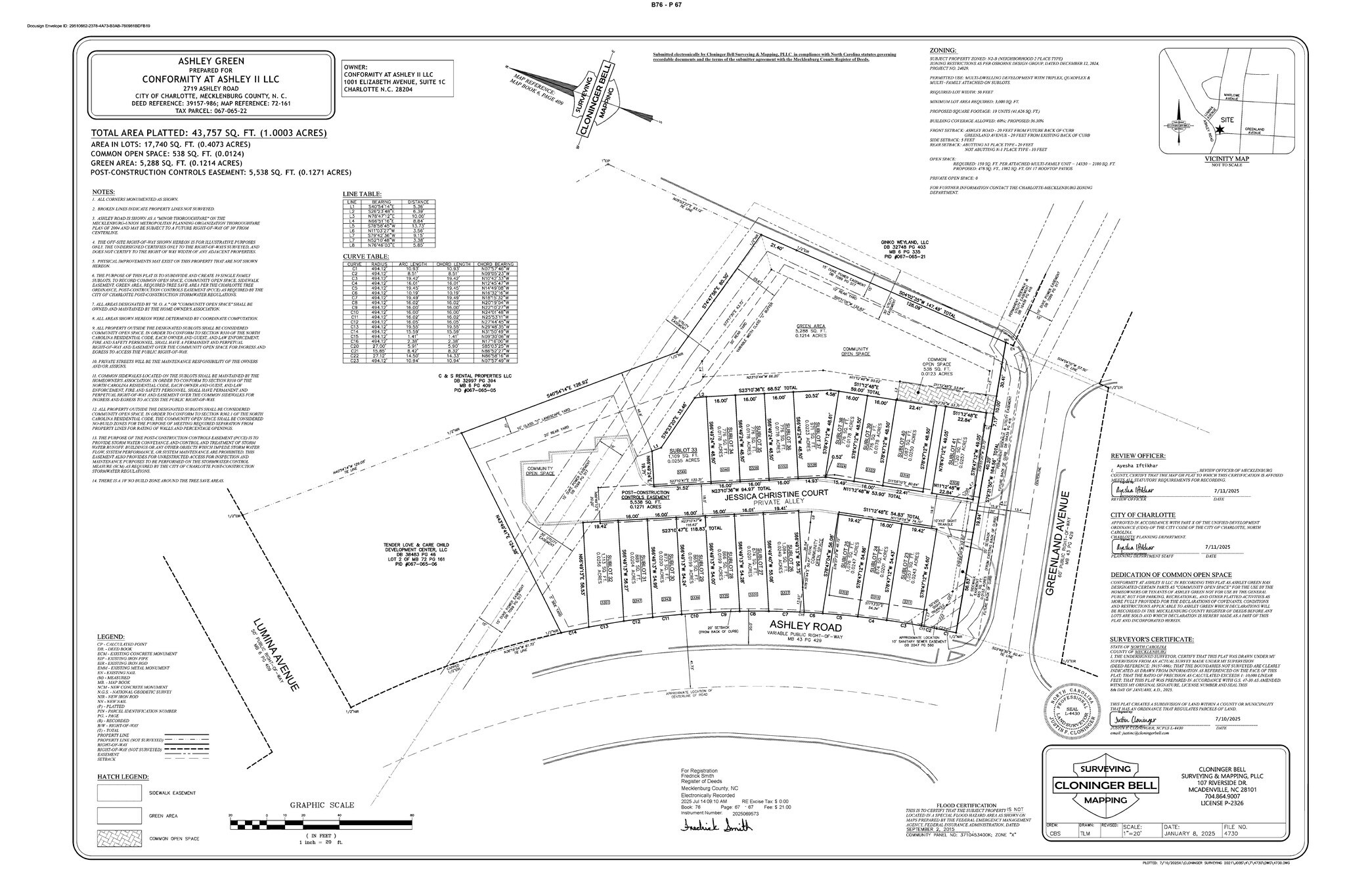
Please consider this 1-Acre infill lot ideally situated at the hard corner of Ashley Rd and Greenland Ave in Charlotte’s Ashley Park neighborhood. The site is fully entitled for 19 townhomes with all Land Development Permits in place. The current zoning is N2-B, offering a Buyer significant flexibility for more dense development should they prefer. The site is also located in an Opportunity Zone, conferring significant tax benefits for long-term ownership. Lastly, this property sits steps away from the future Silver Line light rail connecting Uptown Charlotte with the Charlotte Douglas International Airport and beyond.
FAITS SUR LA PROPRIÉTÉ
| Type de vente | Investissement | Utilisation proposée | Multi-résidentiel |
| Nombre de lots | 1 | Taille totale du lot | 1,00 AC |
| Type de propriété | Terrain | Rues transversales | Greenland Ave. |
| Sous-type de propriété | Terrain commercial | Zone de développement économique |
Oui
|
| Zonage | N2B | ||
| Type de vente | Investissement |
| Nombre de lots | 1 |
| Type de propriété | Terrain |
| Sous-type de propriété | Terrain commercial |
| Utilisation proposée | Multi-résidentiel |
| Taille totale du lot | 1,00 AC |
| Rues transversales | Greenland Ave. |
| Zone de développement économique |
Oui |
| Zonage | N2B |
1 LOT DISPONIBLE
Lot
| Prix | 2 076 750 $ CAD | Taille du lot | 1,00 AC |
| Prix par AC | 2 076 750,04 $ CAD |
| Prix | 2 076 750 $ CAD |
| Prix par AC | 2 076 750,04 $ CAD |
| Taille du lot | 1,00 AC |
1-Acre infill lot on a desirable hard corner. Fully entitled for 19 townhomes and steps away from the future Silver Line light rail. Located in an Opportunity Zone
Impôts fonciers
| Numéro de lot | 067-065-22 | Évaluation des bâtiments | 0 $ CAD |
| Évaluation du terrain | 963 326 $ CAD | Évaluation totale | 963 326 $ CAD |
Impôts fonciers
Numéro de lot
067-065-22
Évaluation du terrain
963 326 $ CAD
Évaluation des bâtiments
0 $ CAD
Évaluation totale
963 326 $ CAD
1 de 3
VIDÉOS
VISITE EXTÉRIEURE 3D MATTERPORT
VISITE 3D MATTERPORT
PHOTOS
VUE DEPUIS LA RUE
RUE
CARTE
