Se Connecter/S’inscrire
Votre courriel a été envoyé.
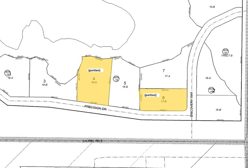
2789 Precision Dr - Shoppes at Laurel Square Lot • Terrain commercial • 0,17 Acres • 676 977 $ CAD • Nokomis, FL 34275


Certaines informations ont été traduites automatiquement.
Faits saillants de l'investissement
- Pad-ready site with utilities in place
- Adjacent to Sarasota Memorial’s new hospital campus
- Includes 14 parking spaces and 4,250 SF buildable area
- Located at I-75 Exit 195 with 27,000 AADT visibility
- Surrounded by new residential and retail developments
- Positioned in a high-growth, affluent corridor
Résumé de l'annonce
Positioned at the high-visibility intersection of I-75 Exit 195 and Laurel Road, this pad-ready outparcel offers a rare opportunity to acquire a prime site in the heart of south Sarasota County’s growth corridor. The 7,704 SF parcel includes a buildable footprint of 4,250 SF and comes with 14 dedicated parking spaces, making it ideal for retail, medical, or service-oriented development. The site fronts The Shoppes at Laurel Square and benefits from direct exposure to 27,000 vehicles per day (AADT) along Laurel Road and Knights Trail. It is surrounded by significant residential expansion, including the Treviso Grand multifamily community and Mirasol Town Center, and sits just steps from Sarasota Memorial Hospital’s new 178-bed facility—creating strong demand for healthcare, food service, and convenience retail.
With water and sewer connections already in place, the parcel is development-ready. Its strategic location offers seamless access to I-75 and is minutes from Venice, Sarasota, and the Gulf Coast. This is a compelling opportunity for investors or owner-users seeking a foothold in a thriving, high-income trade area with strong population growth projected through 2030.
With water and sewer connections already in place, the parcel is development-ready. Its strategic location offers seamless access to I-75 and is minutes from Venice, Sarasota, and the Gulf Coast. This is a compelling opportunity for investors or owner-users seeking a foothold in a thriving, high-income trade area with strong population growth projected through 2030.
Faits sur la propriété
1 Lot disponible
Lot
| Prix | 676 977 $ CAD | Taille du lot | 0,17 AC |
| Prix par AC | 3 982 216,78 $ CAD |
| Prix | 676 977 $ CAD |
| Prix par AC | 3 982 216,78 $ CAD |
| Taille du lot | 0,17 AC |
Available outparcel of 7,704SF: Buildable 4,250 SF includes 14 parking spaces.
Description
Terrains prêts à construire en façade des Shoppes At Laurel Square, stratégiquement situés à la sortie 195 de l'I-75, dans une zone de croissance dynamique. À proximité immédiate du nouvel établissement de 178 lits de l'Hôpital Memorial de Sarasota.
1 1
1 de 3
Vidéos
Visite extérieure 3D Matterport
Visite 3D Matterport
Photos
Vue depuis la rue
Rue
Carte
1 de 1
Présenté par
2789 Precision Dr - Shoppes at Laurel Square
Vous êtes déjà membre? Connectez-vous
Hmm, il semble y avoir eu une erreur lors de l’envoi de votre message. Veuillez réessayer.
Merci! Votre message a été envoyé.
Votre message a été envoyé !
Activez votre compte LoopNet dès maintenant pour suivre les propriétés, recevoir des alertes en temps réel, gagner du temps sur vos demandes futures et bien plus encore.
