Se Connecter/S’inscrire
Votre courriel a été envoyé.
28-30 School St Lot • Terrain commercial • 10,93 Acres • 2 629 540 $ CAD • East Granby, CT 06026

Certaines informations ont été traduites automatiquement.
FAITS SAILLANTS DE L'INVESTISSEMENT
- Town encourages Apartment development
- Close to village center. Minutes to Bradley International Airport
- City services located at the edge of the property
RÉSUMÉ DE L'ANNONCE
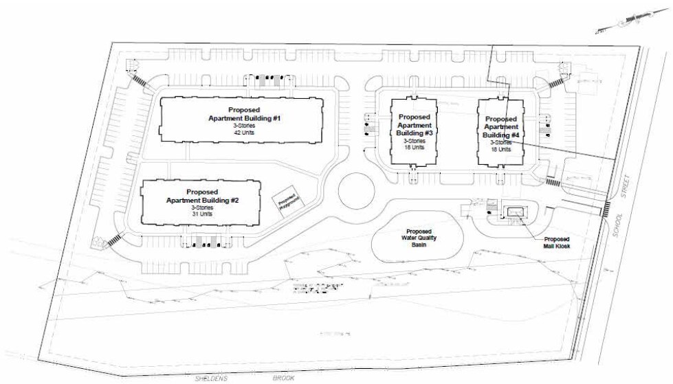
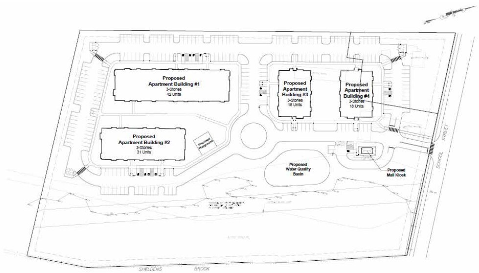
Prime development property for 109 apartment units. Town is encouraging development of a higher density project which is ideally located near the Village center.
Height restriction: 40 ft. Max coverage ratio: 80%. Other uses in the VC zone include retail, offices, and restaurants.
Height restriction: 40 ft. Max coverage ratio: 80%. Other uses in the VC zone include retail, offices, and restaurants.
FAITS SUR LA PROPRIÉTÉ
| Prix | 2 629 540 $ CAD | Sous-type de propriété | Terrain commercial |
| Type de vente | Investissement ou propriétaire utilisateur | Utilisation proposée | Unités d’appartements |
| Nombre de lots | 1 | Taille totale du lot | 10,93 AC |
| Type de propriété | Terrain | ||
| Zonage | VC - Centre du village - conçu pour être des zones à usage mixte, incluant souvent des espaces commerciaux, résidentiels, et possiblement des bureaux ou des usages publics. | ||
| Prix | 2 629 540 $ CAD |
| Type de vente | Investissement ou propriétaire utilisateur |
| Nombre de lots | 1 |
| Type de propriété | Terrain |
| Sous-type de propriété | Terrain commercial |
| Utilisation proposée | Unités d’appartements |
| Taille totale du lot | 10,93 AC |
| Zonage | VC - Centre du village - conçu pour être des zones à usage mixte, incluant souvent des espaces commerciaux, résidentiels, et possiblement des bureaux ou des usages publics. |
1 LOT DISPONIBLE
Lot
| Prix | 2 629 540 $ CAD | Taille du lot | 10,93 AC |
| Prix par AC | 240 580,04 $ CAD |
| Prix | 2 629 540 $ CAD |
| Prix par AC | 240 580,04 $ CAD |
| Taille du lot | 10,93 AC |
Property is 10.93 Acres (net of 7 acres after accounting for wetlands and set backs) with preliminary plans for 109 apartments in four buildings. Sewer, water, gas and electricity located on School Street.
DESCRIPTION
Terrain principalement plat de 10,93 acres avec un plan préliminaire pour 109 unités d'appartements. La propriété comprend actuellement un grand bâtiment commercial et une grange. Les services d'égout, d'eau et de gaz sont situés à la limite de la propriété.
1 1
1 de 2
VIDÉOS
VISITE EXTÉRIEURE 3D MATTERPORT
VISITE 3D MATTERPORT
PHOTOS
VUE DEPUIS LA RUE
RUE
CARTE
1 de 1
Présenté par
28-30 School St
Vous êtes déjà membre? Connectez-vous
Hmm, il semble y avoir eu une erreur lors de l’envoi de votre message. Veuillez réessayer.
Merci! Votre message a été envoyé.
