Votre courriel a été envoyé.
280 Butcher Rd - 280, 310, 312, 350 Butcher Road, Vacaville Lot • Terrain commercial • 0,93 Acres • Vacaville, CA 95687



Certaines informations ont été traduites automatiquement.
Faits saillants de l'investissement
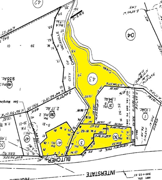
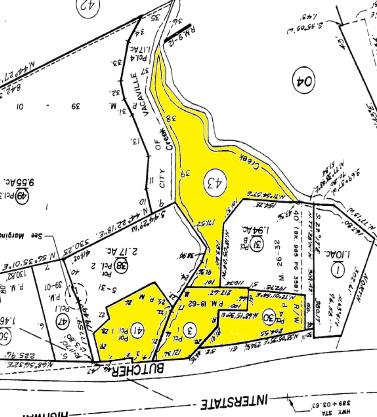
- Parcel #0127-431-200 at 312 Butcher Rd., Vacaville, CA behind and to the east of Vaca Village is zoned RH-Residential High Density Commercial.
- 4.63 total acres on four parcels. This property is part of a court ordered sale subject to Court Sales Order.
- Parcels #0127-070-300, , 0127-070-030, 0127-070-410 at 310, 350, and 280 Butcher Rd., Vacaville, CA are zoned General Commercial.
- Contact listing agent for mandator NDA and full offering memorandum.
Résumé de l'annonce
Faits sur la propriété Sous contrat
| Type de vente | Investissement | Sous-type de propriété | Terrain commercial |
| Condition de vente | Vente sur saisie | Utilisation proposée | Commercial |
| Nombre de lots | 1 | Taille totale du lot | 0,93 AC |
| Type de propriété | Terrain |
| Type de vente | Investissement |
| Condition de vente | Vente sur saisie |
| Nombre de lots | 1 |
| Type de propriété | Terrain |
| Sous-type de propriété | Terrain commercial |
| Utilisation proposée | Commercial |
| Taille totale du lot | 0,93 AC |
1 Lot disponible
Lot
| Taille du lot | 0,93 AC |
| Taille du lot | 0,93 AC |
4.63 Acre, 4-Parcel Land Development Opportunity Address: 280, 310, 312, 350 Butcher Road, Vacaville, CA 95687 Ideal Location With Easy Hwy-80 Access / Convenient to Shopping & Commerce
Description
Cette offre présente une opportunité exceptionnelle de développement de terrain bien situé à Vacaville, CA. L'offre comprend quatre parcelles contiguës et adjacentes, dont trois sont zonées pour usage commercial général et une pour usage résidentiel à haute densité. Les trois parcelles zonées pour usage commercial général totalisent 114 209 pieds carrés avec une façade sur Butcher Road. La parcelle APN#: 0127-4310200 est zonée résidentielle à haute densité et couvre une superficie totale de 87 556 pieds carrés (selon les registres publics). Le potentiel de développement pour ces parcelles est vaste, offrant une large gamme d'utilisations possibles. Un développement résidentiel bénéficierait d'un accès facile à l'autoroute, de la proximité des commerces, des centres commerciaux et des espaces de commerce, ainsi que d'un espace public ouvert et paisible avec des sentiers de randonnée et une nature préservée pour les résidents à proximité. Un développement potentiel à usage commercial ou de détail pourrait profiter d'une visibilité possible depuis l'autoroute Hwy 80, avec une façade directe de l'autre côté de la rue par rapport à l'autoroute et un accès facile aux rampes d'entrée et de sortie.
Impôts fonciers
| Numéro de lot | 0127-070-410 | Évaluation des bâtiments | 570 364 $ CAD |
| Évaluation du terrain | 855 546 $ CAD | Évaluation totale | 1 425 910 $ CAD |
Impôts fonciers
Présenté par
280 Butcher Rd - 280, 310, 312, 350 Butcher Road, Vacaville
Hmm, il semble y avoir eu une erreur lors de l’envoi de votre message. Veuillez réessayer.
Merci! Votre message a été envoyé.
