Se Connecter/S’inscrire
Votre courriel a été envoyé.
Certaines informations ont été traduites automatiquement.
Faits sur la propriété
1 Lot disponible
Lot
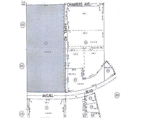
| Taille du lot | 19,04 AC |
| Taille du lot | 19,04 AC |
land with open opportunity to develop retail and or residential project
1 1
Plutôt praticable à pied
30/100
Exceptionnellement facile d’accès en voiture
100/100
Transports en commun très limités
10/100
Assez praticable en vélo
30/100
Impôts fonciers
| Numéro de lot | 333-230-033 | Évaluation des bâtiments | 0 $ CAD |
| Évaluation du terrain | 5 558 176 $ CAD | Évaluation totale | 5 558 176 $ CAD |
Impôts fonciers
Numéro de lot
333-230-033
Évaluation du terrain
5 558 176 $ CAD
Évaluation des bâtiments
0 $ CAD
Évaluation totale
5 558 176 $ CAD
1 de 2
Vidéos
Visite extérieure 3D Matterport
Visite 3D Matterport
Photos
Vue depuis la rue
Rue
Carte
1 de 1
Présenté par
28084 Mccall Blvd - Residential Land Property
Vous êtes déjà membre? Connectez-vous
Hmm, il semble y avoir eu une erreur lors de l’envoi de votre message. Veuillez réessayer.
Merci! Votre message a été envoyé.

