Se Connecter/S’inscrire
Votre courriel a été envoyé.
2828 Nottingham Way
Albany, GA 31707
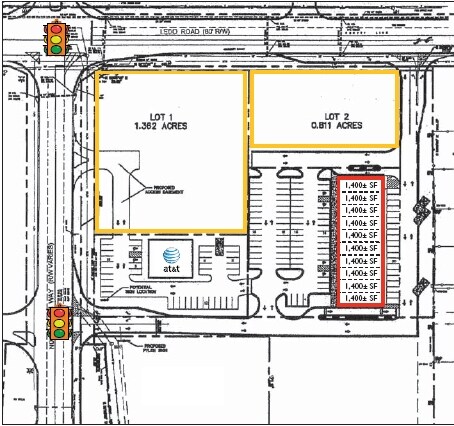
Lot 1 · Terrain À vendre
·
2,03 AC


Certaines informations ont été traduites automatiquement.
Résumé de l'annonce
Possibilité de terrains commerciaux près d'autres entreprises et services à Albany
Faits sur la propriété
1 Lot disponible
Lot
| Prix | 2 596 920 $ CAD | Taille du lot | 2,03 AC |
| Prix par AC | 1 279 270,89 $ CAD |
| Prix | 2 596 920 $ CAD |
| Prix par AC | 1 279 270,89 $ CAD |
| Taille du lot | 2,03 AC |
Possibilité de terrain au coin de la rue
Description
Terrain commercial à l'intersection.
Impôts fonciers
| Numéro de lot | 0000S-00016-001 | Évaluation des bâtiments | 0 $ CAD |
| Évaluation du terrain | 223 085 $ CAD | Évaluation totale | 223 085 $ CAD |
Impôts fonciers
Numéro de lot
0000S-00016-001
Évaluation du terrain
223 085 $ CAD
Évaluation des bâtiments
0 $ CAD
Évaluation totale
223 085 $ CAD
1 de 4
Vidéos
Visite extérieure 3D Matterport
Visite 3D Matterport
Photos
Vue depuis la rue
Rue
Carte
