Se Connecter/S’inscrire
Votre courriel a été envoyé.
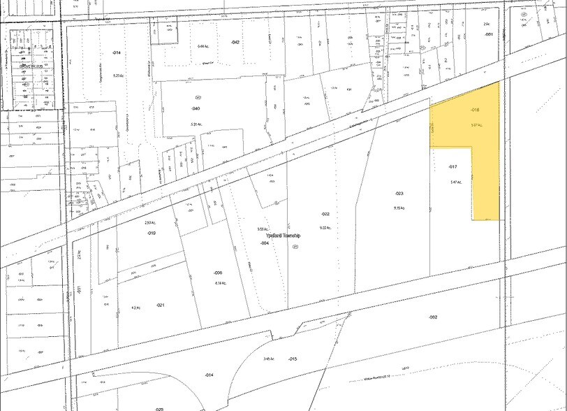
2830 E Michigan Ave - Industrial Zoned Site Lot • Terrain commercial • 5,07 Acres • 1 902 278 $ CAD • Ypsilanti, MI 48198


Certaines informations ont été traduites automatiquement.
Résumé de l'annonce
$1,400,000
475' of Frontage on E Michigan Ave
1,160 Office on Site
Former Use Truck Parking and Driving School
Parcel Number: 11-01-300-018
Excellent Visibility
Quick Access to M-12 and Downtown Ypsilanti
475' of Frontage on E Michigan Ave
1,160 Office on Site
Former Use Truck Parking and Driving School
Parcel Number: 11-01-300-018
Excellent Visibility
Quick Access to M-12 and Downtown Ypsilanti
Faits sur la propriété
| Prix | 1 902 278 $ CAD | Sous-type de propriété | Terrain commercial |
| Type de vente | Investissement ou propriétaire utilisateur | Utilisation proposée | Industriel |
| Nombre de lots | 1 | Taille totale du lot | 5,07 AC |
| Type de propriété | Terrain | Zone de développement économique |
Oui
|
| Zonage | Commercial | ||
| Prix | 1 902 278 $ CAD |
| Type de vente | Investissement ou propriétaire utilisateur |
| Nombre de lots | 1 |
| Type de propriété | Terrain |
| Sous-type de propriété | Terrain commercial |
| Utilisation proposée | Industriel |
| Taille totale du lot | 5,07 AC |
| Zone de développement économique |
Oui |
| Zonage | Commercial |
1 Lot disponible
Lot
| Prix | 1 902 278 $ CAD | Taille du lot | 5,07 AC |
| Prix par AC | 375 202,76 $ CAD |
| Prix | 1 902 278 $ CAD |
| Prix par AC | 375 202,76 $ CAD |
| Taille du lot | 5,07 AC |
1 1
Plutôt praticable à pied
20/100
Exceptionnellement facile d’accès en voiture
100/100
Transports en commun limités
30/100
Assez praticable en vélo
30/100
Impôts fonciers
| Numéro de lot | 11-01-300-018 | Évaluation des bâtiments | 0 $ CAD |
| Évaluation du terrain | 0 $ CAD | Évaluation totale | 298 172 $ CAD |
Impôts fonciers
Numéro de lot
11-01-300-018
Évaluation du terrain
0 $ CAD
Évaluation des bâtiments
0 $ CAD
Évaluation totale
298 172 $ CAD
1 de 3
Vidéos
Visite extérieure 3D Matterport
Visite 3D Matterport
Photos
Vue depuis la rue
Rue
Carte
1 de 1
Présenté par
2830 E Michigan Ave - Industrial Zoned Site
Vous êtes déjà membre? Connectez-vous
Hmm, il semble y avoir eu une erreur lors de l’envoi de votre message. Veuillez réessayer.
Merci! Votre message a été envoyé.
