Se Connecter/S’inscrire
Votre courriel a été envoyé.
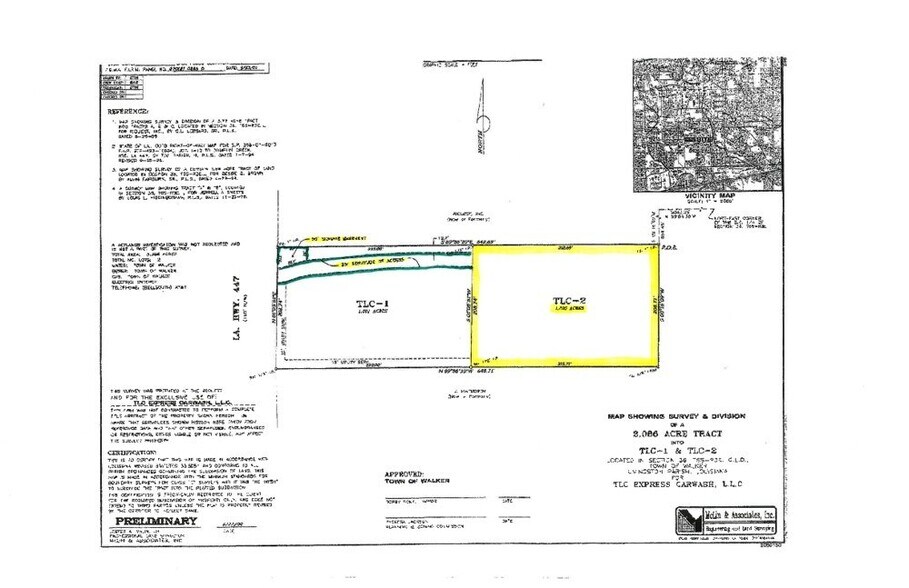
28798 Walker South Rd
Walker, LA 70785
Tract 2 · Terrain À vendre
·
1,50 AC


Certaines informations ont été traduites automatiquement.
Faits saillants de l'investissement
- Situé dans les limites de la ville de Walker entre l'I-12 et le boulevard Florida
- Servitude de signalisation de 50 pi
- N'A PAS INONDÉ EN 2016 !
- 25' servitude d'accès à Walker South
- Le zonage R-C permet une variété d'utilisations potentielles
Résumé de l'annonce
Le 28798 Walker South Road offre 1,505 acres de terrain vacant à vendre. Situé au cœur des limites de Walker City, entre l'I-12 et le boulevard Florida. La propriété est entourée de nombreux commerces et détaillants tels que Wal-Mart Super Center, AutoZone, Popeyes, Murphy's USA, Foochow Buffet, Albasha. Il y a une servitude d'accès de 25 pieds ainsi qu'une servitude de signalisation de 50 pieds sur le chemin Walker South. Le zonage R-C permet une grande variété d'utilisations potentielles. La propriété n'a pas été inondée en 2016 !
• 1.505 Acres sur Walker South à vendre
• Situé dans les limites de Walker City, entre l'I-12 et le boulevard Florida
• 25 pieds de servitude d'accès à Walker South
• servitude de signalisation de 50 pi
• Le zonage R-C permet une variété d'utilisations potentielles
• N'A PAS ÉTÉ INONDÉ EN 2016 !
• 1.505 Acres sur Walker South à vendre
• Situé dans les limites de Walker City, entre l'I-12 et le boulevard Florida
• 25 pieds de servitude d'accès à Walker South
• servitude de signalisation de 50 pi
• Le zonage R-C permet une variété d'utilisations potentielles
• N'A PAS ÉTÉ INONDÉ EN 2016 !
Faits sur la propriété
1 Lot disponible
Lot
| Prix | 273 526 $ CAD | Taille du lot | 1,50 AC |
| Prix par AC | 182 350,67 $ CAD |
| Prix | 273 526 $ CAD |
| Prix par AC | 182 350,67 $ CAD |
| Taille du lot | 1,50 AC |
Description
Le 28798 Walker South Road offre 1,505 acre de terrain vacant à vendre. Situé au cœur des limites de la ville de Walker, entre l'I-12 et le boulevard Florida. La propriété est entourée de nombreuses entreprises et détaillants tels que Wal-Mart Super Center, AutoZone, Popeye's, Murphy's USA, Foochow Buffet, Albasha. Il y a une servitude d'accès de 25 pi ainsi qu'une servitude de signalisation de 50 pi au large du chemin Walker South. Le zonage R-C permet une vaste gamme d'utilisations potentielles. La propriété n'a pas été inondée en 2016 !
Impôts fonciers
| Numéro de lot | 0267997 | Évaluation des bâtiments | 0 $ CAD |
| Évaluation du terrain | 20 514 $ CAD | Évaluation totale | 20 514 $ CAD |
Impôts fonciers
Numéro de lot
0267997
Évaluation du terrain
20 514 $ CAD
Évaluation des bâtiments
0 $ CAD
Évaluation totale
20 514 $ CAD
1 de 3
Vidéos
Visite extérieure 3D Matterport
Visite 3D Matterport
Photos
Vue depuis la rue
Rue
Carte
