Se Connecter/S’inscrire
Votre courriel a été envoyé.
Dollar General - Brunswick 291 Oakwood Ave 9 100 pi² 100% Loué Commerce de détail Immeuble Troy, NY 12182 3 452 043 $ CAD (379,35 $ CAD/pi²) 6,50% Taux de capitalisation



Certaines informations ont été traduites automatiquement.
Faits saillants de l'investissement
- Dollar General Corp | NYSE: DG | S&P Rating: “BBB” Investment Grade
- Upgraded construction materials
- ~110,000 people within 5-miles of the property
- New long term triple net Lease with rent increases
- Short drive to Downtown Albany capital district
- Very close to 2 colleges | Rensselaer Polytechnic Institute & Hudson Valley Community College
Résumé de l'annonce
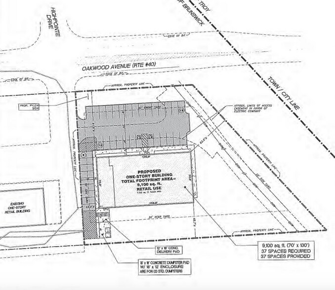
HMX Realty Advisors is pleased to exclusively offer for sale a brand new Dollar General located in Brunswick, NY. This newly constructed, 9,100 sf building sits on a 1.19 acre parcel of land and features upgraded construction materials including hardie board siding and trim, brick wainscot and architectural asphalt shingles on the roof. The store is scheduled to open in June 2026. Brunswick is a growing suburban town in Rensselaer County, directly bordering the city of Troy to the west, and provides convenient access to the broader Albany-Schenectady-Troy Capital District metro area via Hoosick Road (Route 7) and Interstate 87. The property is situated on Oakwood Avenue (Route 40), a key north-south artery serving the region.
The 5-mile trade area encompasses approximately 110,000 residents. The surrounding trade area is anchored by a Walmart, ALDI, and the Brunswick Square shopping center along Hoosick Road, and benefits from proximity to Rensselaer Polytechnic Institute (~7,000 students) and Hudson Valley Community College (~10,000 students), which drive consistent consumer traffic.
The 5-mile trade area encompasses approximately 110,000 residents. The surrounding trade area is anchored by a Walmart, ALDI, and the Brunswick Square shopping center along Hoosick Road, and benefits from proximity to Rensselaer Polytechnic Institute (~7,000 students) and Hudson Valley Community College (~10,000 students), which drive consistent consumer traffic.
Faits sur la propriété
Type de vente
Investissement
Type de propriété
Commerce de détail
Taille du bâtiment
9 100 pi²
Année de construction
2026
Prix
3 452 043 $ CAD
Prix par pi²
379,35 $ CAD
Taux de capitalisation
6,50%
Revenu net d’exploitation
224 383 $ CAD
Pourcentage loué
100%
Hauteur du bâtiment
1 étage
Principaux locataires
- Locataire
- Secteur
- pi² Occupé
- Loyer/pi²
- Type de bail
- Fin du bail
- Dollar General
- Détaillant
- -
- -
- Loyer hypernet
- -
| Locataire | Secteur | pi² Occupé | Loyer/pi² | Type de bail | Fin du bail | |
| Dollar General | Détaillant | - | - | Loyer hypernet | - |
Plutôt praticable à pied
20/100
Exceptionnellement facile d’accès en voiture
100/100
Transports en commun très limités
10/100
Assez praticable en vélo
30/100
Principaux détaillants à proximité
Impôts fonciers
| Numéro de lot | 382200 80.-2-2.12 | Évaluation des bâtiments | 0 $ CAD |
| Évaluation du terrain | 13 595 $ CAD | Évaluation totale | 13 595 $ CAD |
Impôts fonciers
Numéro de lot
382200 80.-2-2.12
Évaluation du terrain
13 595 $ CAD
Évaluation des bâtiments
0 $ CAD
Évaluation totale
13 595 $ CAD
1 de 6
Vidéos
Visite extérieure 3D Matterport
Visite 3D Matterport
Photos
Vue depuis la rue
Rue
Carte
Présenté par
Dollar General - Brunswick | 291 Oakwood Ave
Vous êtes déjà membre? Connectez-vous
Hmm, il semble y avoir eu une erreur lors de l’envoi de votre message. Veuillez réessayer.
Merci! Votre message a été envoyé.
