Se Connecter/S’inscrire
Votre courriel a été envoyé.
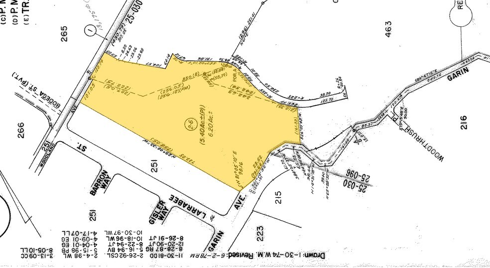
29831 Clearbrook Cir - Faith Lands Act SB4 Affordable Housing Lot • Résidentiel • 6,2 Acres • Hayward, CA 94544



Certaines informations ont été traduites automatiquement.
Faits saillants de l'investissement
- Central Bay Area SB4 potential development site
- Hayward Hills location
- Views and convenience to many Bay Area amenities
- Affordable Housing on Faith Lands Act
- 6 acre in-fill parcel
Résumé de l'annonce
Attention all AFFORDABLE HOUSING DEVELOPERS !!!
This property is presently owned by a 501C3 religious organization.
Utilize the benefits of such and your experience with SB4 legislation to maximize the development potential on this wonderful piece of property.
Several site analyses are also available for review.
Contact Listing Broker to discuss or with additional questions.
Thank you
This property is presently owned by a 501C3 religious organization.
Utilize the benefits of such and your experience with SB4 legislation to maximize the development potential on this wonderful piece of property.
Several site analyses are also available for review.
Contact Listing Broker to discuss or with additional questions.
Thank you
Faits sur la propriété
1 Lot disponible
Lot
| Taille du lot | 6,20 AC |
| Taille du lot | 6,20 AC |
Beautiful undeveloped parcel in the Hayward Hills - very centrally located in the SF Bay Area. The site is presently unentitled Current City of Hayward zoning may permit approximately 25 units to be constructed on the site
Description
Magnifique parcelle non aménagée dans les collines de la ville de Hayward... Prête et en attente.
1 1
Impôts fonciers
| Numéro de lot | 083-0254-002-06 | Évaluation des bâtiments | 0 $ CAD |
| Évaluation du terrain | 2 439 988 $ CAD | Évaluation totale | 2 439 988 $ CAD |
Impôts fonciers
Numéro de lot
083-0254-002-06
Évaluation du terrain
2 439 988 $ CAD
Évaluation des bâtiments
0 $ CAD
Évaluation totale
2 439 988 $ CAD
1 de 22
Vidéos
Visite extérieure 3D Matterport
Visite 3D Matterport
Photos
Vue depuis la rue
Rue
Carte
1 de 1
Présenté par
29831 Clearbrook Cir - Faith Lands Act SB4 Affordable Housing
Vous êtes déjà membre? Connectez-vous
Hmm, il semble y avoir eu une erreur lors de l’envoi de votre message. Veuillez réessayer.
Merci! Votre message a été envoyé.
Votre message a été envoyé !
Activez votre compte LoopNet dès maintenant pour suivre les propriétés, recevoir des alertes en temps réel, gagner du temps sur vos demandes futures et bien plus encore.
