Se Connecter/S’inscrire
Votre courriel a été envoyé.
Certaines informations ont été traduites automatiquement.
Faits saillants
- Situé au cœur de Memphis Distribution
- Les locataires voisins comprennent : Ford, Trane, Cintas et DHL
- 10 minutes de BNSF Railways et 20 minutes de l'aéroport international de Memphis
Caractéristiques
Étage d’entrepôt
7”
Baies d’entrée
2
Portes de quai de chargement extérieures
48
Tous les espaces disponibles(1)
Afficher les taux de location en
- Espace
- Taille
- Terme
- Taux de location
- Utilisation de l’espace
- État
- Disponible
Build to Suit space
| Espace | Taille | Terme | Taux de location | Utilisation de l’espace | État | Disponible |
| 1er étage | 50 000 à 225 000 pi² | Négociable | Sur demande Sur demande Sur demande Sur demande | Industriel | selon spécifications | Maintenant |
1er étage
| Taille |
| 50 000 à 225 000 pi² |
| Terme |
| Négociable |
| Taux de location |
| Sur demande Sur demande Sur demande Sur demande |
| Utilisation de l’espace |
| Industriel |
| État |
| selon spécifications |
| Disponible |
| Maintenant |
1er étage
| Taille | 50 000 à 225 000 pi² |
| Terme | Négociable |
| Taux de location | Sur demande |
| Utilisation de l’espace | Industriel |
| État | selon spécifications |
| Disponible | Maintenant |
Build to Suit space
Aperçu de la propriété
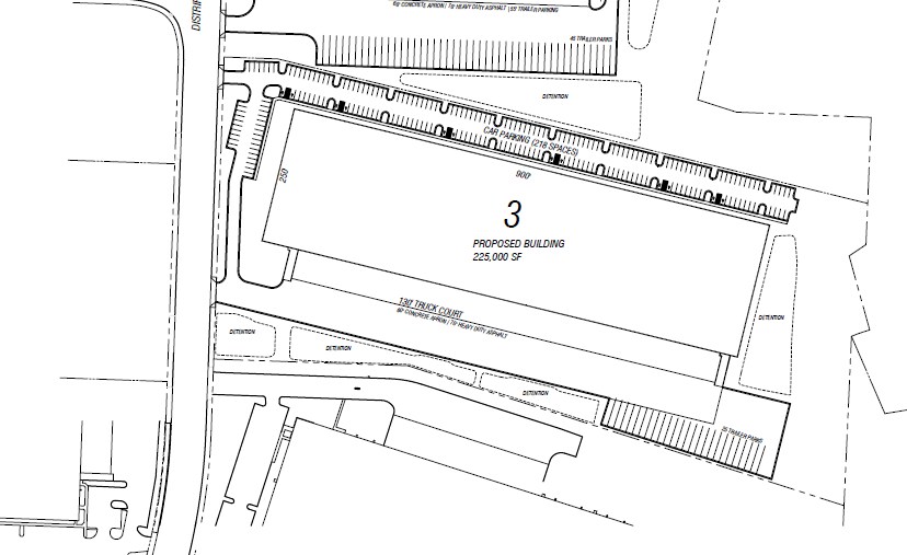
Construire en fonction de l'édifice industriel au cœur du quartier industriel de Memphis. Situé dans une région qui peut rejoindre 75 % de la population américaine à moins de 2 jours de route. Ce site offre un accès facile aux routes qui lui permettent d'atteindre les principaux carrefours de distribution, tels que BNSF Railways, l'aéroport international de Memphis et bien d'autres.
Faits sur l’installation distribution
Taille du bâtiment
225 000 pi²
Taille du lot
14,42 AC
Année de construction
2027
Système de gicleur
ESFR
Alimentation électrique
Ampères: 2 000 Volts: 277-480
Zonage
R-6 - Résidentiel unifamilial
1 1
1 de 4
Vidéos
Visite extérieure 3D Matterport
Visite 3D Matterport
Photos
Vue depuis la rue
Rue
Carte
1 de 1
Présenté par
Site 3 | 3 Distriplex Farms
Vous êtes déjà membre? Connectez-vous
Hmm, il semble y avoir eu une erreur lors de l’envoi de votre message. Veuillez réessayer.
Merci! Votre message a été envoyé.
Votre message a été envoyé !
Activez votre compte LoopNet dès maintenant pour suivre les propriétés, recevoir des alertes en temps réel, gagner du temps sur vos demandes futures et bien plus encore.



