Se Connecter/S’inscrire
Votre courriel a été envoyé.
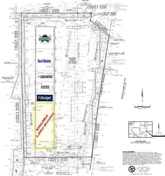
300-320 NE 291 Hwy
Lee's Summit, MO 64086
Lee's Summit Retail Center · Commerce de détail Propriété À louer
·
5 400 pi²


Certaines informations ont été traduites automatiquement.
Faits saillants
- Exceptional visibility along high-traffic MO 291 Highway.
- Convenient access with abundant on-site parking for customers.
- Prime location across from major retailers and dining options.
Faits sur la propriété
À propos de la propriété
Centre multi-locataires en face de l'épicerie HyVee, McDonald's, KFC et bien d'autres le long du corridor 291 achalandé du Lee's Summit. Grande visibilité et accès.
- Affichage
1 de 5
Vidéos
Visite extérieure 3D Matterport
Visite 3D Matterport
Photos
Vue depuis la rue
Rue
Carte
