Votre courriel a été envoyé.
300 Elm St - Village Center Mixed Use District Lot • Terrain industriel • 30,8 Acres • North Haven, CT 06473



Certaines informations ont été traduites automatiquement.
Faits saillants de l'investissement
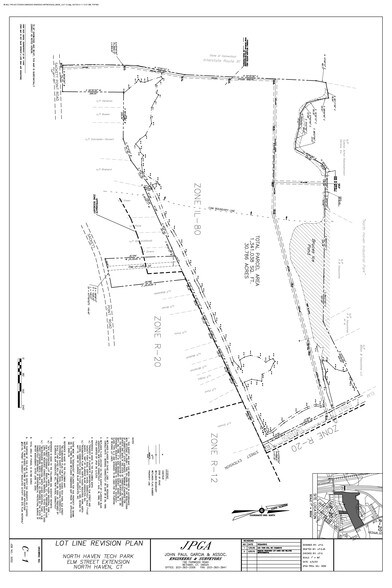
- 30,80 Acres de terrain de zone industrielle (I-80), convenant à des opérations de fabrication, d'entreposage ou de logistique.
- Divisible pour les locataires multiples ou les projets de développement échelonnés.
- Possibilité d'investissement solide dans un corridor commercial et industriel en pleine croissance.
- Emplacement stratégique avec une visibilité privilégiée sur la I-91 et un accès facile aux principales autoroutes.
- Entouré de parcs industriels et de quartiers résidentiels, ce qui accroît le potentiel de croissance.
Résumé de l'annonce
Faits sur la propriété
| Type de vente | Investissement | Sous-type de propriété | Terrain industriel |
| Nombre de lots | 1 | Taille totale du lot | 30,80 AC |
| Type de propriété | Terrain | ||
| Zonage | I-80 - Zone I-80, permettant des utilisations industrielles, d'entrepôt, de fabrication et de logistique, avec des options de développement flexibles et une exposition principale à l'I-91. | ||
| Type de vente | Investissement |
| Nombre de lots | 1 |
| Type de propriété | Terrain |
| Sous-type de propriété | Terrain industriel |
| Taille totale du lot | 30,80 AC |
| Zonage | I-80 - Zone I-80, permettant des utilisations industrielles, d'entrepôt, de fabrication et de logistique, avec des options de développement flexibles et une exposition principale à l'I-91. |
1 Lot disponible
Lot
| Taille du lot | 30,80 AC |
| Taille du lot | 30,80 AC |
S'étendant sur 30,80 acres, ce terrain industriel de premier plan offre une grande visibilité depuis l'I-91 et des options d'aménagement flexibles. Zoné I-80, il est idéal pour la fabrication, la logistique ou l'utilisation commerciale. Le lot est divisible, ce qui permet la réalisation de projets échelonnés ou multiples
Description
Cette parcelle industrielle de 30,80 acres située à North Haven, au Connecticut, offre un potentiel de développement exceptionnel avec une grande visibilité depuis l'I-91 et un accès direct aux principales voies de transport. Le site est divisible, ce qui le rend idéal pour les grands parcs industriels, les centres logistiques ou l'aménagement d'espaces flexibles.
Présenté par
300 Elm St - Village Center Mixed Use District
Hmm, il semble y avoir eu une erreur lors de l’envoi de votre message. Veuillez réessayer.
Merci! Votre message a été envoyé.
