Se Connecter/S’inscrire
Votre courriel a été envoyé.
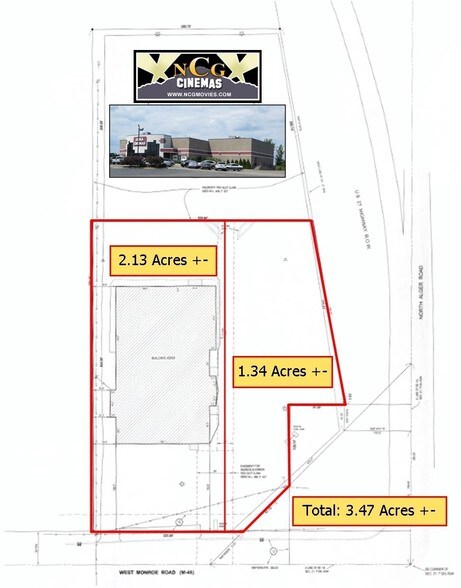
3000 W Monroe Rd - W. Monroe Rd - 3000 Lot • Terrain commercial • 8,17 Acres • 277 789 $ CAD • Alma, MI 48801



Certaines informations ont été traduites automatiquement.
FAITS SUR LA PROPRIÉTÉ
1 LOT DISPONIBLE
Lot
| Prix | 277 789 $ CAD | Taille du lot | 8,17 AC |
| Prix par AC | 34 001,05 $ CAD |
| Prix | 277 789 $ CAD |
| Prix par AC | 34 001,05 $ CAD |
| Taille du lot | 8,17 AC |
1 1
Impôts fonciers
| Numéros de lot | Évaluation des bâtiments | 0 $ CAD | |
| Évaluation du terrain | 0 $ CAD | Évaluation totale | 481 181 $ CAD |
Impôts fonciers
Numéros de lot
Évaluation du terrain
0 $ CAD
Évaluation des bâtiments
0 $ CAD
Évaluation totale
481 181 $ CAD
1 de 5
VIDÉOS
VISITE EXTÉRIEURE 3D MATTERPORT
VISITE 3D MATTERPORT
PHOTOS
VUE DEPUIS LA RUE
RUE
CARTE
1 de 1
Présenté par
3000 W Monroe Rd - W. Monroe Rd - 3000
Vous êtes déjà membre? Connectez-vous
Hmm, il semble y avoir eu une erreur lors de l’envoi de votre message. Veuillez réessayer.
Merci! Votre message a été envoyé.
