Votre courriel a été envoyé.
Reston Herndon Business Park Bldg 3A 301-366 Victory Dr 5 300 pi² d'espace disponible • Industriel • Herndon, VA 20170



Certaines informations ont été traduites automatiquement.
Faits saillants
- Les magasins Spring Street du parc d'affaires Reston Herndon ont récemment fait l'objet d'une rénovation complète.
- Le parc d'affaires se trouve à quelques minutes de Tysons Corner et de l'aéroport de Dulles avec un accès facile aux futures stations de métro Herndon et Reston Town Center.
- Chaque espace offre une surface désemisée et mesurée séparément avec une nouvelle façade en aluminium et en verre.
- Situé à 1 mile du centre-ville de Reston avec un superbe accès de Fairfax County Parkway & Dulles Access Road (route 267).
- Ce parc d'affaires professionnel offre un excellent potentiel de croissance locataire et une gestion locale dévouée.
Caractéristiques
Tous les espaces disponibles(1)
Afficher les taux de location en
- Espace
- Taille
- Terme
- Taux de location
- Utilisation de l’espace
- État
- Disponible
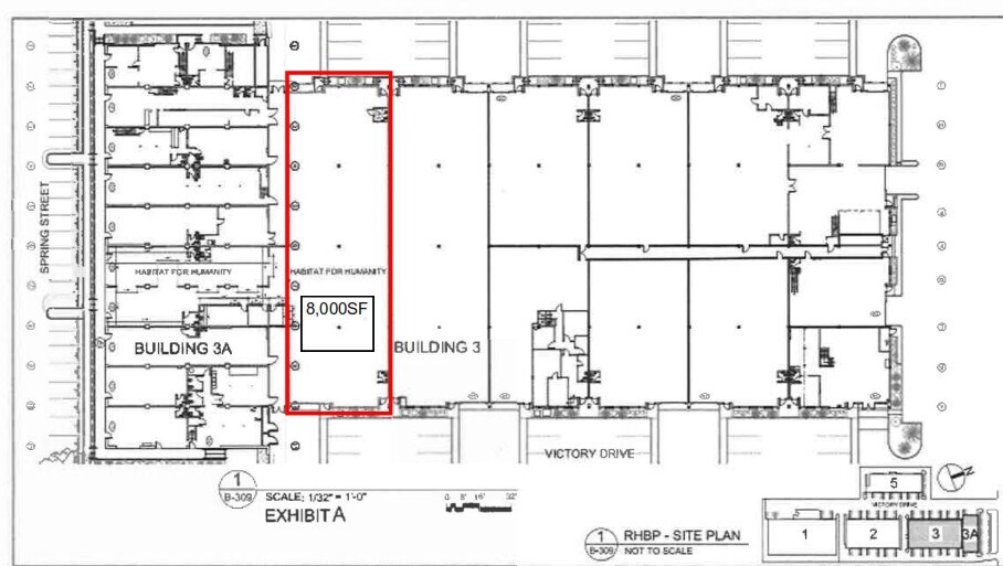
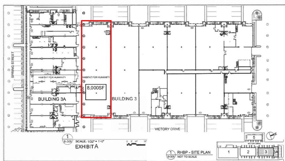
Les 2 espaces de cet immeuble doivent être loués ensemble, pour une superficie totale de 5 300 pi² (Zone contiguë):
Mezzanine area included.
- Le taux de location ne comprend pas les services publics, les services de bâtiment ou les dépenses immobilières.
- 1 accès plain-pied
- Comprend 2 300 pi² d’espace de bureau dédié
| Espace | Taille | Terme | Taux de location | Utilisation de l’espace | État | Disponible |
| 1er étage - 316, Mezzanine - 316 | 5 300 pi² | Négociable | 24,61 $ CAD/pi²/an 2,05 $ CAD/pi²/mois 130 434 $ CAD/an 10 869 $ CAD/mois | Industriel | construction complète | Maintenant |
1er étage - 316, Mezzanine - 316
Les 2 espaces de cet immeuble doivent être loués ensemble, pour une superficie totale de 5 300 pi² (Zone contiguë):
| Taille |
|
1er étage - 316 - 4 000 pi²
Mezzanine - 316 - 1 300 pi²
|
| Terme |
| Négociable |
| Taux de location |
| 24,61 $ CAD/pi²/an 2,05 $ CAD/pi²/mois 130 434 $ CAD/an 10 869 $ CAD/mois |
| Utilisation de l’espace |
| Industriel |
| État |
| construction complète |
| Disponible |
| Maintenant |
1er étage - 316, Mezzanine - 316
| Taille |
1er étage - 316 - 4 000 pi²
Mezzanine - 316 - 1 300 pi²
|
| Terme | Négociable |
| Taux de location | 24,61 $ CAD/pi²/an |
| Utilisation de l’espace | Industriel |
| État | construction complète |
| Disponible | Maintenant |
Mezzanine area included.
- Le taux de location ne comprend pas les services publics, les services de bâtiment ou les dépenses immobilières.
- Comprend 2 300 pi² d’espace de bureau dédié
- 1 accès plain-pied
Aperçu de la propriété
Spring Street Shops du parc d'affaires Reston Herndon a récemment fait l'objet d'une rénovation complète. Ce parc d'affaires professionnel offre un excellent potentiel de croissance locataire et une gestion locale dévouée. La propriété de l'écurie du parc est équipée pour répondre à vos besoins uniques. Une abondance de commodités sur place et à proximité, ainsi que la proximité du métro, en font une excellente occasion à Herndon. Il y a une abondance de commodités à moins d'un kilomètre, et le centre ville de Reston, qui offre plus de 50 magasins, 30 restaurants, un cinéma à 11 écrans et un pavillon en plein air, des résidences de luxe et un hôtel Hyatt Regency quatre diamants est à une courte distance. Pour plus de commodité, les futures stations de métro Herndon et de Reston Town Center Metro se trouvent à proximité.
Faits sur la propriété
Présenté par
Reston Herndon Business Park Bldg 3A | 301-366 Victory Dr
Hmm, il semble y avoir eu une erreur lors de l’envoi de votre message. Veuillez réessayer.
Merci! Votre message a été envoyé.

