Votre courriel a été envoyé.
303 Pittard Rd - Pittard Road Industrial Tract 186 Acres Lot • Terrain industriel • 186,5 Acres • 5 171 421 $ CAD • Athens, GA 30601



Certaines informations ont été traduites automatiquement.
FAITS SAILLANTS DE L'INVESTISSEMENT
- Situé à Athena Industrial Park.
- Peuvent être subdivisés
- Accès facile aux principales autoroutes
RÉSUMÉ DE L'ANNONCE
FAITS SUR LA PROPRIÉTÉ
| Prix | 5 171 421 $ CAD | Sous-type de propriété | Terrain industriel |
| Type de vente | Investissement | Utilisation proposée | Industriel |
| Nombre de lots | 1 | Taille totale du lot | 186,50 AC |
| Type de propriété | Terrain | ||
| Zonage | EI - Employé industriel | ||
| Prix | 5 171 421 $ CAD |
| Type de vente | Investissement |
| Nombre de lots | 1 |
| Type de propriété | Terrain |
| Sous-type de propriété | Terrain industriel |
| Utilisation proposée | Industriel |
| Taille totale du lot | 186,50 AC |
| Zonage | EI - Employé industriel |
1 LOT DISPONIBLE
Lot
| Prix | 5 171 421 $ CAD | Taille du lot | 186,50 AC |
| Prix par AC | 27 728,80 $ CAD |
| Prix | 5 171 421 $ CAD |
| Prix par AC | 27 728,80 $ CAD |
| Taille du lot | 186,50 AC |
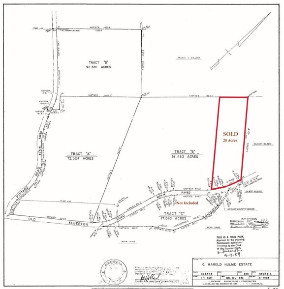
Excellent emplacement dans le parc industriel Athena. Peut être assemblé avec des parcelles adjacentes pour un site plus grand. La propriété est principalement boisée et compte environ 25 acres de terres ouvertes cultivées en rangs.
DESCRIPTION
Excellent emplacement dans le parc industriel Athena. Peut être assemblé avec des parcelles adjacentes pour un site plus grand. Elle peut également être subdivisée. Le chemin Pittard et le chemin Old Elberton bordent le tronçon sujet avec accès aux principales artères : route 441, route 29, route 129, route 316, route 78 et route 72. La propriété est principalement boisée et compte environ 25 acres de terres ouvertes cultivées en rangs. L'égout est situé à environ 1 100 pi au sud du sujet, dans l'emprise du chemin Old Elberton. La propriété est située à l'intersection du chemin Pittard et du chemin Old Elberton dans le parc industriel Athena.
Impôts fonciers
| Numéros de lot | Évaluation des bâtiments | 0 $ CAD | |
| Évaluation du terrain | 1 725 081 $ CAD | Évaluation totale | 1 725 081 $ CAD |
Impôts fonciers
Présenté par
303 Pittard Rd - Pittard Road Industrial Tract 186 Acres
Hmm, il semble y avoir eu une erreur lors de l’envoi de votre message. Veuillez réessayer.
Merci! Votre message a été envoyé.

