Se Connecter/S’inscrire
Votre courriel a été envoyé.
3102 S 23rd St
Tacoma, WA 98405
Allenmore Land · Terrain À vendre
·
1,97 AC


Certaines informations ont été traduites automatiquement.
RÉSUMÉ DE L'ANNONCE
±1,97 acres (±85 600 pi2)
Prix de vente : 2 054 400$ (24$ PSF)
Visibilité sur l'autoroute 16 : 101 000 voitures par jour
Zonage : CCX - District commercial communautaire à usage mixte (Ville de Tacoma)
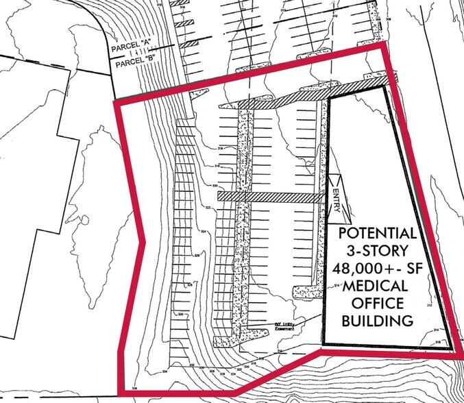
Les utilisations autorisées comprennent le commerce de détail, les bureaux, les logements médicaux, les logements multifamiliaux, les hôtels et les résidences pour personnes âgées
Limite de hauteur de 60 pieds, une hauteur supplémentaire peut être atteinte grâce au programme de bonus
Subdivision à plantes courtes en cours
Services publics à l'emplacement
Stationnement réciproque potentiel avec l'église adjacente (jusqu'à ±50 places)
Prix de vente : 2 054 400$ (24$ PSF)
Visibilité sur l'autoroute 16 : 101 000 voitures par jour
Zonage : CCX - District commercial communautaire à usage mixte (Ville de Tacoma)
Les utilisations autorisées comprennent le commerce de détail, les bureaux, les logements médicaux, les logements multifamiliaux, les hôtels et les résidences pour personnes âgées
Limite de hauteur de 60 pieds, une hauteur supplémentaire peut être atteinte grâce au programme de bonus
Subdivision à plantes courtes en cours
Services publics à l'emplacement
Stationnement réciproque potentiel avec l'église adjacente (jusqu'à ±50 places)
FAITS SUR LA PROPRIÉTÉ
| Type de vente | Investissement | Utilisation proposée | |
| Nombre de lots | 1 | Taille totale du lot | 1,97 AC |
| Type de propriété | Terrain | Nombre d’étages | 1 |
| Sous-type de propriété | Terrain commercial | ||
| Zonage | CCX | ||
| Type de vente | Investissement |
| Nombre de lots | 1 |
| Type de propriété | Terrain |
| Sous-type de propriété | Terrain commercial |
| Utilisation proposée | |
| Taille totale du lot | 1,97 AC |
| Nombre d’étages | 1 |
| Zonage | CCX |
1 LOT DISPONIBLE
Lot 1
| Prix | 3 030 082 $ CAD | Taille du lot | 1,97 AC |
| Prix par AC | 1 538 190,81 $ CAD |
| Prix | 3 030 082 $ CAD |
| Prix par AC | 1 538 190,81 $ CAD |
| Taille du lot | 1,97 AC |
Les utilisations autorisées pour le lot comprennent les commerces de détail, les bureaux, les logements médicaux, les logements multifamiliaux, les hôtels et les résidences pour personnes âgées.
Impôts fonciers
| Numéro de lot | 032007-2075 | Évaluation des bâtiments | 4 532 376 $ CAD |
| Évaluation du terrain | 5 284 105 $ CAD | Évaluation totale | 9 816 481 $ CAD |
Impôts fonciers
Numéro de lot
032007-2075
Évaluation du terrain
5 284 105 $ CAD
Évaluation des bâtiments
4 532 376 $ CAD
Évaluation totale
9 816 481 $ CAD
1 de 3
VIDÉOS
VISITE EXTÉRIEURE 3D MATTERPORT
VISITE 3D MATTERPORT
PHOTOS
VUE DEPUIS LA RUE
RUE
CARTE
