Votre courriel a été envoyé.
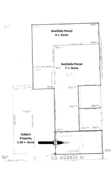
31215 Cometti Ln - Hwy 31 Property Lot • Terrain commercial • 1,58 Acres • 2 120 400 $ CAD • Spanish Fort, AL 36527



Certaines informations ont été traduites automatiquement.
Faits saillants de l'investissement
- Bonne visibilité et circulation sur l'autoroute 31/Spanish Fort Blvd. Environ 450 pi +- façade de la route sur la route 31.
- Multiple parcels available for larger tract assembly
- Zoned B-3, supporting diverse commercial development
Résumé de l'annonce
Faits sur la propriété
1 Lot disponible
Lot
| Prix | 2 120 400 $ CAD | Taille du lot | 1,58 AC |
| Prix par AC | 1 342 025,35 $ CAD |
| Prix | 2 120 400 $ CAD |
| Prix par AC | 1 342 025,35 $ CAD |
| Taille du lot | 1,58 AC |
14 +- Acres Vendre tout ou partie.
Description
Anciennement propriété résidentielle maintenant zonée B3 à vendre. 5 parcelles combinées pour la vente totale ou partielle. Droit de passage acquis jusqu'aux parcelles arrière de la route 31. Les prix sont négociables. Brett Robinson a obtenu les renseignements de sources qu'il croit fiables et qu'ils sont exacts. Aucune déclaration ou garantie, expresse ou implicite, n'est faite quant à l'exactitude ou à la fiabilité de ces informations. Le destinataire assume la responsabilité de la vérification des informations contenues dans le présent document et assume tous les risques quant à leur exactitude. L'acheteur doit vérifier l'exactitude pendant la période de diligence raisonnable.
Présenté par
31215 Cometti Ln - Hwy 31 Property
Hmm, il semble y avoir eu une erreur lors de l’envoi de votre message. Veuillez réessayer.
Merci! Votre message a été envoyé.

