Se Connecter/S’inscrire
Votre courriel a été envoyé.
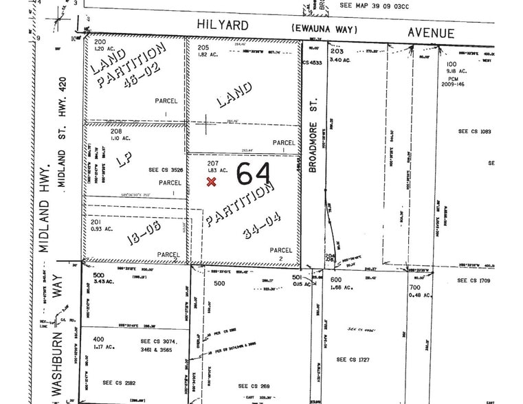
3200 Broadmore St
Klamath Falls, OR 97603
Terrain À vendre
·
1,83 AC

Certaines informations ont été traduites automatiquement.
Résumé de l'annonce
Excellent site de motel/bureau. Peut avoir accès à Washburn Way par l'entremise du lot fiscal 201. Près des grands détaillants. Le propriétaire envisagerait un bail foncier ou une construction en suite pour un locataire admissible. Peut être acheté avec 0,93A attenant (lot 201) qui fait face à Washburn. 2,76A pour 909 000$.
Faits sur la propriété
| Type de vente | Investissement ou propriétaire utilisateur | Sous-type de propriété | Terrain commercial |
| Nombre de lots | 1 | Taille totale du lot | 1,83 AC |
| Type de propriété | Terrain | ||
| Zonage | G-C - Commercial-général | ||
| Type de vente | Investissement ou propriétaire utilisateur |
| Nombre de lots | 1 |
| Type de propriété | Terrain |
| Sous-type de propriété | Terrain commercial |
| Taille totale du lot | 1,83 AC |
| Zonage | G-C - Commercial-général |
1 Lot disponible
Lot 207
| Prix | 588 240 $ CAD | Taille du lot | 1,83 AC |
| Prix par AC | 321 442,63 $ CAD |
| Prix | 588 240 $ CAD |
| Prix par AC | 321 442,63 $ CAD |
| Taille du lot | 1,83 AC |
Terrain de 1,83 acre
Description
Site de 1,83 acre. Peut avoir accès à Washburn Way par l'entremise du lot fiscal 201. Près des grands détaillants. Le propriétaire envisagerait un bail foncier ou une construction sur mesure pour un locataire qualifié. Peut être acheté avec 0,93A attenant (lot fiscal 201) qui donne sur Washburn. 2,76A pour 909 000$ (7,56 $/pi2).
Impôts fonciers
| Numéro de lot | R890661 | Évaluation des bâtiments | 0 $ CAD |
| Évaluation du terrain | 556 612 $ CAD | Évaluation totale | 556 612 $ CAD |
Impôts fonciers
Numéro de lot
R890661
Évaluation du terrain
556 612 $ CAD
Évaluation des bâtiments
0 $ CAD
Évaluation totale
556 612 $ CAD
1 de 2
Vidéos
Visite extérieure 3D Matterport
Visite 3D Matterport
Photos
Vue depuis la rue
Rue
Carte
