Se Connecter/S’inscrire
Votre courriel a été envoyé.
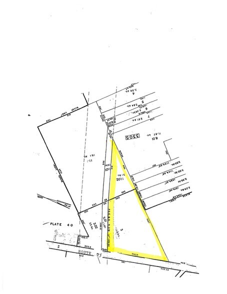
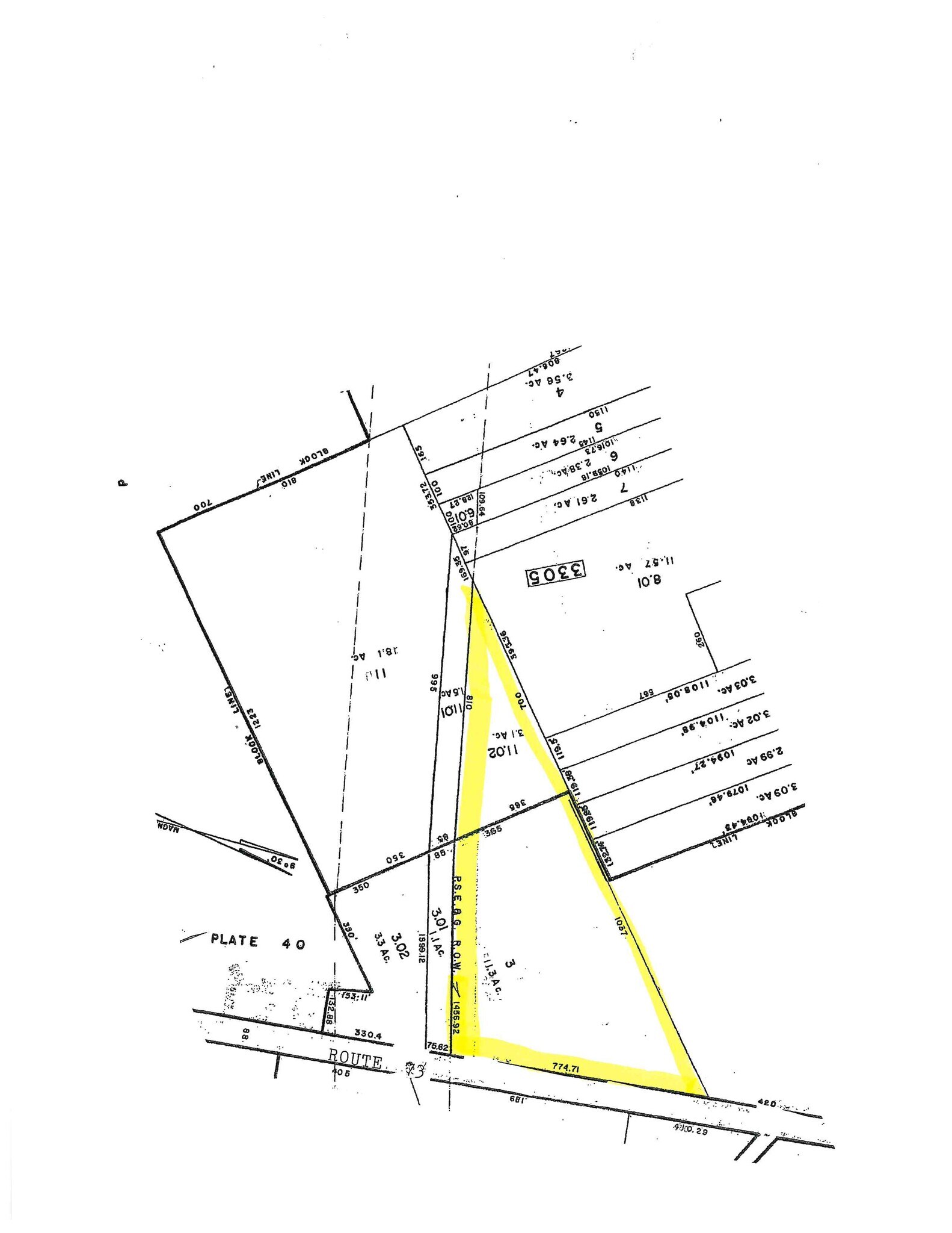
3203-3 Route 73
Berlin, NJ 08009
Terrain À vendre
·
14,00 AC

Certaines informations ont été traduites automatiquement.
Faits saillants de l'investissement
- Trafic lourd
Résumé de l'annonce
14 acres de terrain privilégié sur la route 73, sur la façade de 774 pi sur la route 73, égouts publics et eau. Zoné industriel/commercial. Situé à côté de la nouvelle machine à relier. Grand potentiel pour les parcs industriels ou les commerces de détail. Situé juste à l'extérieur de Berlin, le quartier le plus proche de Boom. Le canton de Winslow offre de nombreux allégements fiscaux pour les nouvelles constructions, les développements commerciaux et industriels, y compris les abattements fiscaux. Procéder à une partie commerciale, à une partie industrielle, à une partie commerciale ou industrielle.
Faits sur la propriété
| Type de vente | Investissement ou propriétaire utilisateur | Sous-type de propriété | Terrain commercial |
| Nombre de lots | 1 | Taille totale du lot | 14,00 AC |
| Type de propriété | Terrain | Rues transversales | Norcross |
| Zonage | PI1 | ||
| Type de vente | Investissement ou propriétaire utilisateur |
| Nombre de lots | 1 |
| Type de propriété | Terrain |
| Sous-type de propriété | Terrain commercial |
| Taille totale du lot | 14,00 AC |
| Rues transversales | Norcross |
| Zonage | PI1 |
1 Lot disponible
Lot
| Prix | 1 945 580 $ CAD | Taille du lot | 14,00 AC |
| Prix par AC | 138 970,01 $ CAD |
| Prix | 1 945 580 $ CAD |
| Prix par AC | 138 970,01 $ CAD |
| Taille du lot | 14,00 AC |
Route 73 Sud, à côté de Komatsu
Impôts fonciers
| Numéro de lot | 36-05006-0000-00004 | Évaluation des bâtiments | 103 029 $ CAD |
| Évaluation du terrain | 113 469 $ CAD | Évaluation totale | 216 498 $ CAD |
Impôts fonciers
Numéro de lot
36-05006-0000-00004
Évaluation du terrain
113 469 $ CAD
Évaluation des bâtiments
103 029 $ CAD
Évaluation totale
216 498 $ CAD
1 de 2
Vidéos
Visite extérieure 3D Matterport
Visite 3D Matterport
Photos
Vue depuis la rue
Rue
Carte
