Votre courriel a été envoyé.
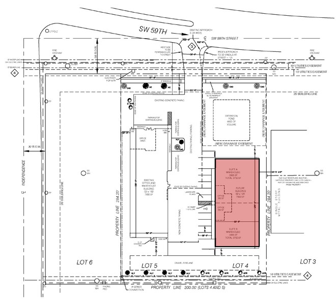
3220 SW 59th St
Oklahoma City, OK 73119
Industrial BTS · Industriel Propriété À louer
·
6 000 pi²


Certaines informations ont été traduites automatiquement.
Faits saillants
- Flexible build-to-suit design suitable for medical, light industrial, or service-based users.
- Close proximity to Amazon, FedEx, and Will Rogers World Airport for distribution efficiency.
- Convenient access to I-44 (1 mile) and I-240 (1.5 miles) for regional connectivity.
- Located in a well-established commercial area with nearby retail and service amenities.
Aperçu de la propriété
This industrial build-to-suit opportunity offers a flexible layout designed to accommodate a range of uses, including light industrial, medical, or service-based operations. The property spans approximately 0.46 acres and includes a planned 6,000 SF building, with city approvals already completed and finalized. Located along busy SW 59th Street, the site provides excellent visibility and convenient access to major transportation routes, including I-44 and I-240. Its strategic position near Amazon, FedEx, and Will Rogers World Airport makes it an ideal choice for businesses requiring efficient distribution or last-mile logistics capabilities. The property’s zoning (I-2) supports a variety of industrial and commercial uses, offering tenants the flexibility to customize the space to meet operational needs. With strong traffic counts and proximity to key regional infrastructure, this location is well-suited for companies seeking a functional and accessible site in Oklahoma City’s growing industrial corridor.
