Se Connecter/S’inscrire
Votre courriel a été envoyé.
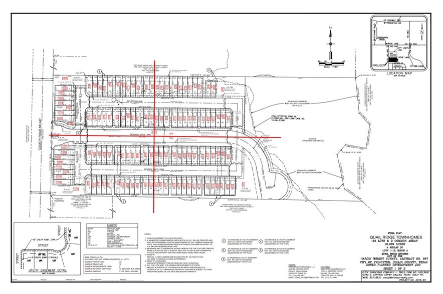
324 Golden Finch LN ln - Quail Ridge Townhomes Lot • Résidentiel • 19,98 Acres • 9 944 060 $ CAD • Princeton, TX 75407


Certaines informations ont été traduites automatiquement.
Faits saillants de l'investissement
- Future SFR development
Résumé de l'annonce
60 developed town house lots, 56 paper lots. Detailed construction plans of the 56 paper lots were approved by the city. The vertical construction plans of 6 units within on building were approved by the city and the permit was issued.
Faits sur la propriété
1 Lot disponible
Lot
| Prix | 9 944 060 $ CAD | Taille du lot | 19,98 AC |
| Prix par AC | 497 700,71 $ CAD |
| Prix | 9 944 060 $ CAD |
| Prix par AC | 497 700,71 $ CAD |
| Taille du lot | 19,98 AC |
60 developed town house lots, 56 paper lots.
Description
60 lots de maisons en rangée aménagées, 56 lots en projet. Les plans de construction détaillés des 56 lots en projet ont été approuvés par la ville. Les plans de construction verticale de 6 unités dans un bâtiment ont été approuvés par la ville et le permis a été délivré.
1 1
Impôts fonciers
| Numéros de lot | Évaluation des bâtiments | 0 $ CAD | |
| Évaluation du terrain | 733 136 $ CAD | Évaluation totale | 733 136 $ CAD |
Impôts fonciers
Numéros de lot
Évaluation du terrain
733 136 $ CAD
Évaluation des bâtiments
0 $ CAD
Évaluation totale
733 136 $ CAD
1 de 3
Vidéos
Visite extérieure 3D Matterport
Visite 3D Matterport
Photos
Vue depuis la rue
Rue
Carte
1 de 1
Présenté par
Kevin Clare Realty LLC
324 Golden Finch LN ln - Quail Ridge Townhomes
Vous êtes déjà membre? Connectez-vous
Hmm, il semble y avoir eu une erreur lors de l’envoi de votre message. Veuillez réessayer.
Merci! Votre message a été envoyé.
Votre message a été envoyé !
Activez votre compte LoopNet dès maintenant pour suivre les propriétés, recevoir des alertes en temps réel, gagner du temps sur vos demandes futures et bien plus encore.
