Se Connecter/S’inscrire
Votre courriel a été envoyé.
Certaines informations ont été traduites automatiquement.
Faits saillants de l'investissement
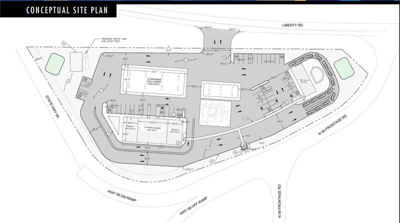
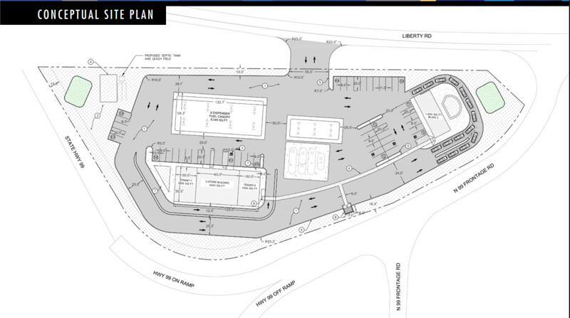
- Approved for gas, commercial diesel, and a drive-thru
Résumé de l'annonce
Highway Commercial Land for sale.
» Size: ±2.95AC (±128,502SF)
» General Plan Zoning: Freeway Service Commercial (C/FS)
» Adjacent to Hwy 99
» Fully Entitled for:
» ±6,000SF building with drive-thru
» 8 MPD canopy for auto fueling
» 3 MPD canopy for commercial fueling
» ±1,600SF stand alone drive-thru
» Approved septic and well
» Gas & electric are in the street
» Highway pylon signage
» Site to be delivered with plans and shovel ready
» Size: ±2.95AC (±128,502SF)
» General Plan Zoning: Freeway Service Commercial (C/FS)
» Adjacent to Hwy 99
» Fully Entitled for:
» ±6,000SF building with drive-thru
» 8 MPD canopy for auto fueling
» 3 MPD canopy for commercial fueling
» ±1,600SF stand alone drive-thru
» Approved septic and well
» Gas & electric are in the street
» Highway pylon signage
» Site to be delivered with plans and shovel ready
Faits sur la propriété
| Prix | 4 106 370 $ CAD | Sous-type de propriété | Terrain commercial |
| Type de vente | Investissement | Utilisation proposée | |
| Nombre de lots | 1 | Taille totale du lot | 2,95 AC |
| Type de propriété | Terrain |
| Prix | 4 106 370 $ CAD |
| Type de vente | Investissement |
| Nombre de lots | 1 |
| Type de propriété | Terrain |
| Sous-type de propriété | Terrain commercial |
| Utilisation proposée | |
| Taille totale du lot | 2,95 AC |
1 Lot disponible
Lot
| Prix | 4 106 370 $ CAD | Taille du lot | 2,95 AC |
| Prix par AC | 1 391 989,86 $ CAD |
| Prix | 4 106 370 $ CAD |
| Prix par AC | 1 391 989,86 $ CAD |
| Taille du lot | 2,95 AC |
Site to be delivered with plans and shovel ready.
1 1
1 de 2
Vidéos
Visite extérieure 3D Matterport
Visite 3D Matterport
Photos
Vue depuis la rue
Rue
Carte
1 de 1
Présenté par
3271 Liberty Rd
Vous êtes déjà membre? Connectez-vous
Hmm, il semble y avoir eu une erreur lors de l’envoi de votre message. Veuillez réessayer.
Merci! Votre message a été envoyé.
Votre message a été envoyé !
Activez votre compte LoopNet dès maintenant pour suivre les propriétés, recevoir des alertes en temps réel, gagner du temps sur vos demandes futures et bien plus encore.

