Se Connecter/S’inscrire
Votre courriel a été envoyé.
Certaines informations ont été traduites automatiquement.
Faits saillants de l'investissement
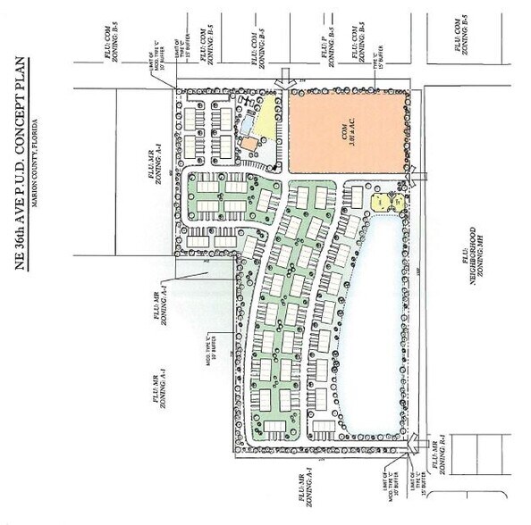
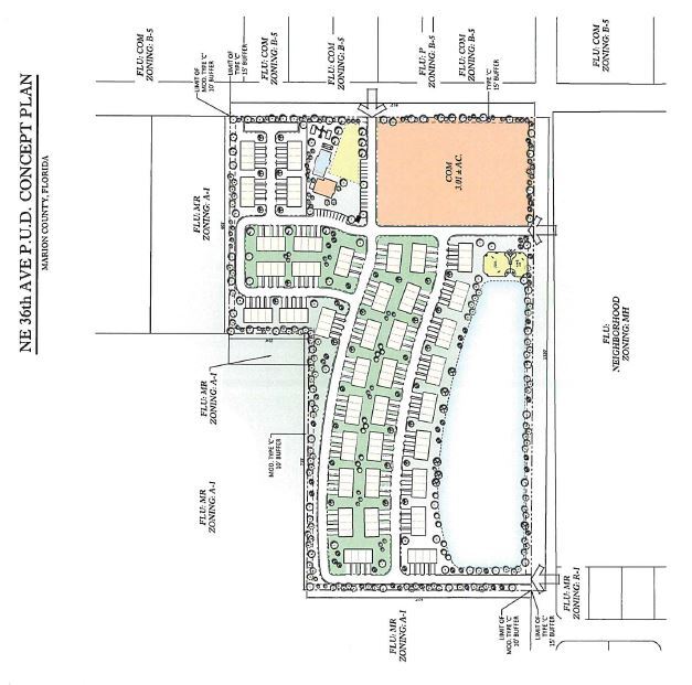
- Terrain très visible situé à l'intersection de la 35e rue Nord-Est et de la 36e avenue Nord-Est
Résumé de l'annonce
Boyd Real Estate a le plaisir d'offrir en exclusivité 3,01 acres commerciaux situés sur la 35e rue NE. Cette propriété a une excellente façade et compte plus de 12 300 maisons dans un rayon de trois milles. L'établissement est idéalement situé à 1,5 km d'un centre commercial Publix et à 3 km des attractions Wild Waters et Silver Springs Park. Situé le long de l'Interstate 75, dans le centre-nord de la Floride, Ocala se trouve à une heure de route au nord d'Orlando. Les résidents et les entreprises jouissent d'une qualité de vie élevée et d'un coût de la vie relativement bas. Des soins de santé de qualité et l'un des coûts de logement les plus bas de la Floride font du comté de Marion un endroit où il fait bon vivre. Le paysage pittoresque est décoré par la beauté pastorale de plus de 900 fermes équestres avec de nombreux espaces verts pour le plaisir de tous. Si la plage vous plaît, les deux côtes sont à moins d'une heure de route. La forêt nationale d'Ocala offre aux résidents et aux visiteurs des milliers d'acres de forêt, de sentiers, de lacs et de rivières. Le comté de Marion est le foyer d'une économie diversifiée, alliant des fermes équestres et des intérêts agricoles à une variété de secteurs commerciaux.
Faits sur la propriété
1 Lot disponible
Lot
| Prix | 2 152 650 $ CAD | Taille du lot | 3,01 AC |
| Prix par AC | 715 165,99 $ CAD |
| Prix | 2 152 650 $ CAD |
| Prix par AC | 715 165,99 $ CAD |
| Taille du lot | 3,01 AC |
Parcelle externe de 3,01 acres au coin dur.
1 1
Impôts fonciers
| Numéro de lot | 15841-004-00 | Évaluation des bâtiments | 0 $ CAD |
| Évaluation du terrain | 0 $ CAD | Évaluation totale | 984 $ CAD |
Impôts fonciers
Numéro de lot
15841-004-00
Évaluation du terrain
0 $ CAD
Évaluation des bâtiments
0 $ CAD
Évaluation totale
984 $ CAD
1 de 2
Vidéos
Visite extérieure 3D Matterport
Visite 3D Matterport
Photos
Vue depuis la rue
Rue
Carte
1 de 1
Présenté par
3301 NE 35th St
Vous êtes déjà membre? Connectez-vous
Hmm, il semble y avoir eu une erreur lors de l’envoi de votre message. Veuillez réessayer.
Merci! Votre message a été envoyé.
Votre message a été envoyé !
Activez votre compte LoopNet dès maintenant pour suivre les propriétés, recevoir des alertes en temps réel, gagner du temps sur vos demandes futures et bien plus encore.

