Se Connecter/S’inscrire
Votre courriel a été envoyé.
Certaines informations ont été traduites automatiquement.
Faits saillants de l'investissement
- Zones vertes centrales incluses
- Facteurs économiques : Énergie, technologies numériques, économie verte, éducation et recherche
- Emplacement stratégique : à 150 km de Montréal, 145 km de Québec, 35 km de Trois-Rivières.
- Revenu moyen des ménages : 77 217 $
Résumé de l'annonce
Possibilité de développement multi-familial près du centre commercial Plaza de La Mauricie, Shawinigan. Développable jusqu'à 3-6 étages avec jusqu'à 190 unités d'appartements.
Faits sur la propriété
1 Lot disponible
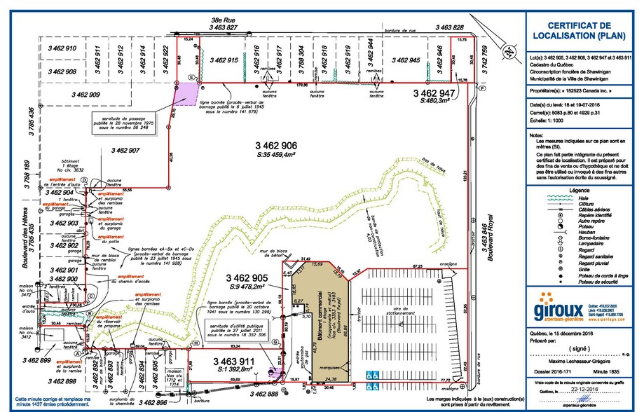
Lot 3462906
| Prix | 3 000 000 $ CAD | Taille du lot | 9,11 AC |
| Prix par AC | 329 439,29 $ CAD |
| Prix | 3 000 000 $ CAD |
| Prix par AC | 329 439,29 $ CAD |
| Taille du lot | 9,11 AC |
Walk Score®
Très pratique à pied (79)
1 de 9
Vidéos
Visite extérieure 3D Matterport
Visite 3D Matterport
Photos
Vue depuis la rue
Rue
Carte
Présenté par
3353 Blvd Royal
Vous êtes déjà membre? Connectez-vous
Hmm, il semble y avoir eu une erreur lors de l’envoi de votre message. Veuillez réessayer.
Merci! Votre message a été envoyé.
Votre message a été envoyé !
Activez votre compte LoopNet dès maintenant pour suivre les propriétés, recevoir des alertes en temps réel, gagner du temps sur vos demandes futures et bien plus encore.




