Votre courriel a été envoyé.
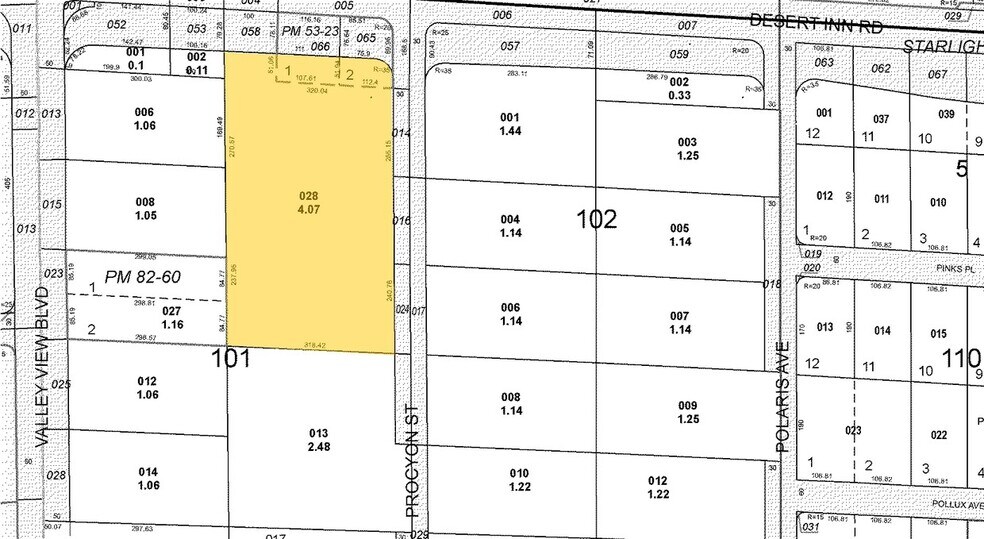
3355 Procyon St - Mixed Use In-Fill Land Lot • Résidentiel • 4,07 Acres • 19 990 715 $ CAD • Las Vegas, NV 89102



Certaines informations ont été traduites automatiquement.
Faits saillants de l'investissement
- Strategically positioned between Area 15 and Chinatown
- Direct Access to Las Vegas Convention Center
- High Traffic Counts
- Major Arterial
- In-Fill Parcel
- Excellent Exposure
Résumé de l'annonce
Faits sur la propriété
1 Lot disponible
Lot 1
| Prix | 19 990 715 $ CAD | Taille du lot | 4,07 AC |
| Prix par AC | 4 911 723,51 $ CAD |
| Prix | 19 990 715 $ CAD |
| Prix par AC | 4 911 723,51 $ CAD |
| Taille du lot | 4,07 AC |
Rectangular 4.06 acre in-fill parcel. 318' of frontage on Desert Inn Rd. Considered the SWC of Desert Inn Rd. and Procyon.
Description
Prix en dessous du coût de remplacement !! Avec des comparables de ventes récentes pour le terrain dans la zone immédiate à 2 900 000 $/acre pour les 4 acres. Propriété "In-Fill" de premier choix pour bureaux/industriel, divertissement, commerce de détail, résidences de grande hauteur ou hôtel/casino. Située à l'intersection sud-ouest de Desert Inn Road et Procyon Street, avec un trafic quotidien de 53 000 véhicules, et à seulement 2,4 km à l'ouest de l'emblématique "Las Vegas Strip". La propriété est stratégiquement située entre "Area 15", qui accueille le projet "Universal Studios Experiences", et à un bloc au sud de "China Town" sur Spring Mountain Road. Elle s'étend sur un terrain de 4,07 acres avec 289 places de stationnement et une façade de 318 pieds sur Desert Inn Road et de 505 pieds sur Procyon Street. La propriété est entourée de clôtures en fer sur les limites extérieures. Le zonage de la propriété est EM (Usage Mixte Divertissement) et elle fait également partie de la "Zone d'Opportunité", offrant des avantages fiscaux potentiels et des usages de zonage flexibles.
Impôts fonciers
| Numéro de lot | 162-17-101-028 | Évaluation des bâtiments | 2 724 671 $ CAD |
| Évaluation du terrain | 1 145 162 $ CAD | Évaluation totale | 3 869 833 $ CAD |
Impôts fonciers
Présenté par
3355 Procyon St - Mixed Use In-Fill Land
Hmm, il semble y avoir eu une erreur lors de l’envoi de votre message. Veuillez réessayer.
Merci! Votre message a été envoyé.
