Se Connecter/S’inscrire
Votre courriel a été envoyé.
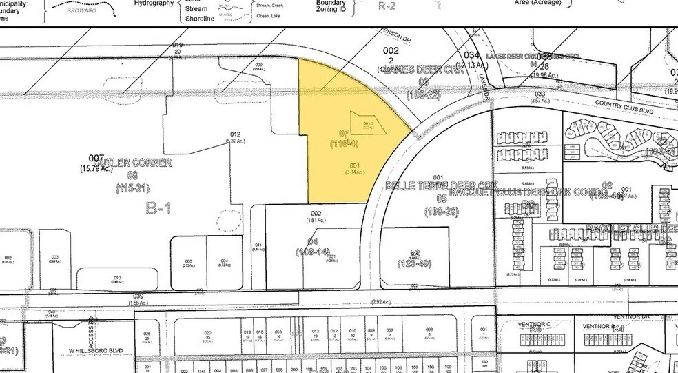
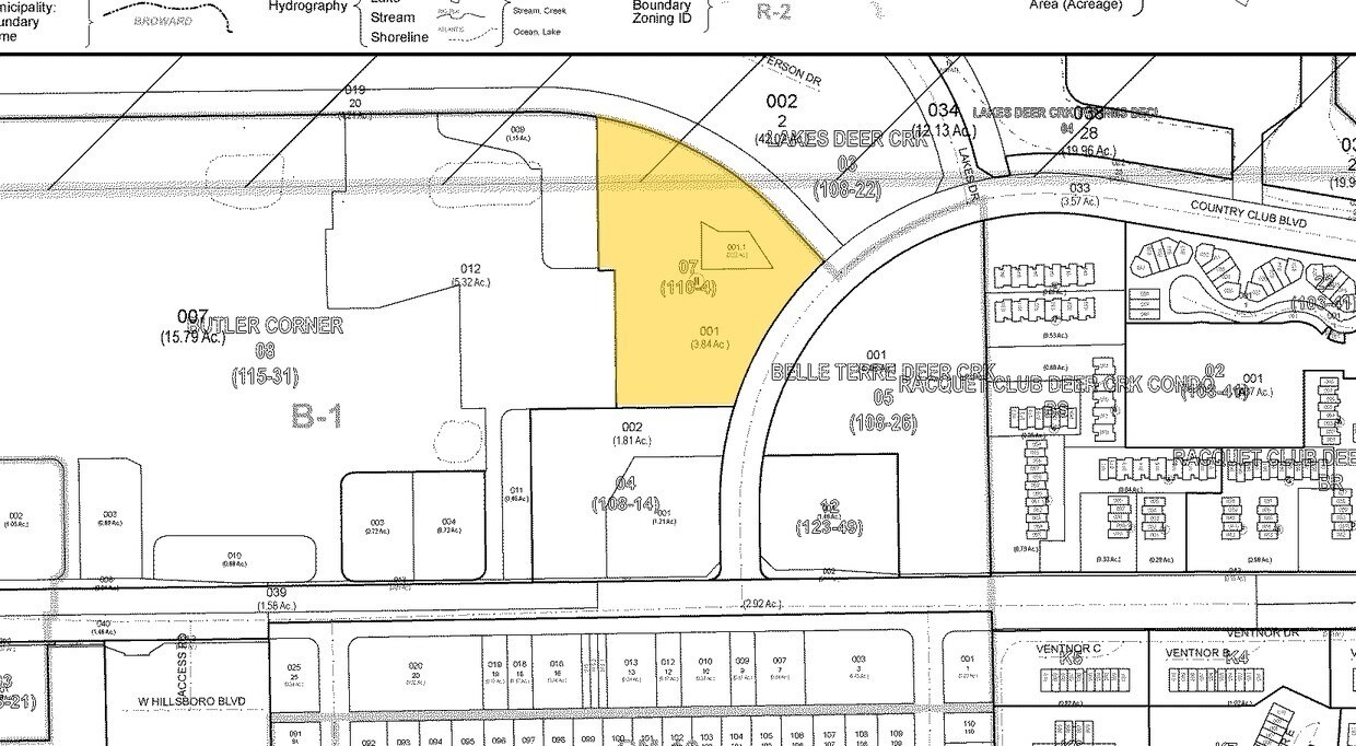
3401 Deer Creek Country Club Blvd
Deerfield Beach, FL 33442
Terrain À louer


Certaines informations ont été traduites automatiquement.
Faits saillants
- UN AFFLEUL VERS UN CENTRE COMMERCIAL SUPER CIBLE
- Boulevard HILLSBORO et POWERLINE RD CORNER
- Bon pour- HÔPITAL ANIMAL, GYM, Garderie, ENTREPÔT PUBLIC, MÉDICAL-DENTAIRE, RÉHAB, SPORTS, MAGASIN DOLARS, AUTO, RESTAURANT,
- Salon, Ameublement, Plancher, Éclairage, MOBILIER, MARCHÉ, ALIMENTATION, APRÈLE ÉCOLE, CAMP, ETC
Faits sur la propriété
| Superficie totale disponible | 0,34 AC | Sous-type de propriété | Terrain commercial |
| Type de propriété | Terrain | Utilisation proposée | Commercial |
| Superficie totale disponible | 0,34 AC |
| Type de propriété | Terrain |
| Sous-type de propriété | Terrain commercial |
| Utilisation proposée | Commercial |
1 de 3
Vidéos
Visite extérieure 3D Matterport
Visite 3D Matterport
Photos
Vue depuis la rue
Rue
Carte
