Se Connecter/S’inscrire
Votre courriel a été envoyé.
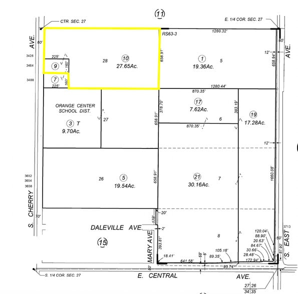
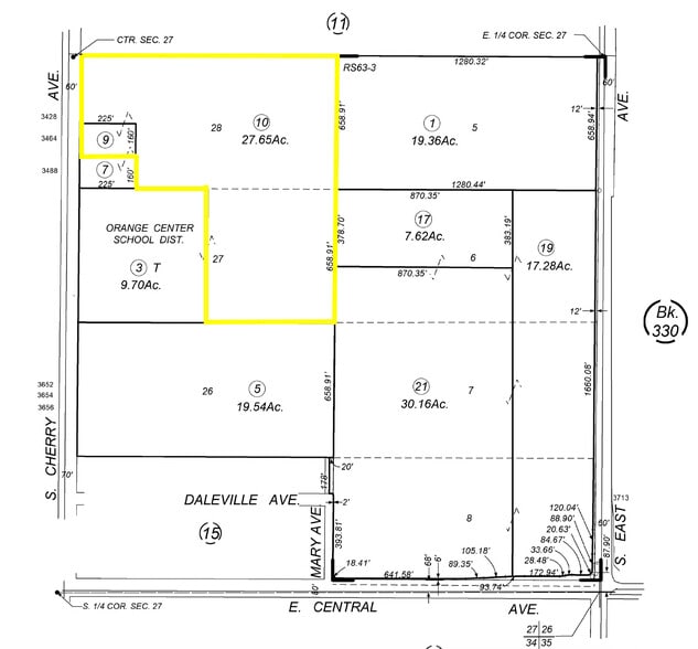
3428 S Cherry Ave - 27.65 Acres Near Freeways 41 & 99 Lot • Terrain industriel • 27,65 Acres • Fresno, CA 93706



Certaines informations ont été traduites automatiquement.
Faits saillants de l'investissement
- IL Zoning Industrial Light (Proposed)
- 2 miles from Highway 99, .75 miles from Freeway 41
- ±27.65 Acres
Faits sur la propriété
| Type de vente | Investissement | Sous-type de propriété | Terrain industriel |
| Nombre de lots | 1 | Taille totale du lot | 27,65 AC |
| Type de propriété | Terrain | Zone de développement économique |
Oui
|
| Zonage | IL | ||
| Type de vente | Investissement |
| Nombre de lots | 1 |
| Type de propriété | Terrain |
| Sous-type de propriété | Terrain industriel |
| Taille totale du lot | 27,65 AC |
| Zone de développement économique |
Oui |
| Zonage | IL |
1 Lot disponible
Lot
| Taille du lot | 27,65 AC |
| Taille du lot | 27,65 AC |
Description
La propriété est située dans le comté non incorporé de Fresno, à l'intérieur de la sphère d'influence de la ville de Fresno. Son zonage actuel est AE-20 (Agricole) sous la juridiction du comté de Fresno. Cependant, le plan général de la ville de Fresno désigne le site pour un usage industriel léger. En raison de la présence d'une école sur la propriété adjacente, le développement futur sera probablement limité à des usages plus légers compatibles avec les sensibilités des voisins environnants.
1 1
Plutôt praticable à pied
20/100
Exceptionnellement facile d’accès en voiture
100/100
Transports en commun limités
30/100
Assez praticable en vélo
30/100
Impôts fonciers
| Numéro de lot | 329-130-10 | Évaluation des bâtiments | 423 327 $ CAD |
| Évaluation du terrain | 190 764 $ CAD | Évaluation totale | 614 091 $ CAD |
Impôts fonciers
Numéro de lot
329-130-10
Évaluation du terrain
190 764 $ CAD
Évaluation des bâtiments
423 327 $ CAD
Évaluation totale
614 091 $ CAD
1 de 5
Vidéos
Visite extérieure 3D Matterport
Visite 3D Matterport
Photos
Vue depuis la rue
Rue
Carte
1 de 1
Présenté par
3428 S Cherry Ave - 27.65 Acres Near Freeways 41 & 99
Vous êtes déjà membre? Connectez-vous
Hmm, il semble y avoir eu une erreur lors de l’envoi de votre message. Veuillez réessayer.
Merci! Votre message a été envoyé.
