Votre courriel a été envoyé.
341-343 E. 5th St. Dayton, Oh 343 E 5th St 3 300–6 600 pi² d'espace disponible • Bureau/Commerce de détail • Dayton, OH 45402



Certaines informations ont été traduites automatiquement.
Faits saillants
- Au cœur du district de l'Oregon et de la DORA (zone de rafraîchissement extérieure désignée)
- Licence d'alcool facilement disponible. Les utilisations approuvées comprennent les restaurants, les commerces de détail, les bureaux ou les résidences.
- À distance de marche du Day-Air Ballpark, de l'hôtel AC, du Fairfield Inn & Suites, du centre de conventions de Dayton et de plus de 3 750 unités résidentielles
- The Oregon District has a full calendar of events that draw visitors downtown on a year round basis.
Disponibilité des espaces (2)
Afficher les taux de location en
- Espace
- Taille
- Terme
- Taux de location
- Type de loyer
| Espace | Taille | Terme | Taux de location | Type de loyer | ||
| 1er étage | 3 300 pi² | Négociable | Sur demande Sur demande Sur demande Sur demande | Loyer hypernet | ||
| 2e étage | 3 300 pi² | Négociable | Sur demande Sur demande Sur demande Sur demande | Loyer hypernet |
1er étage
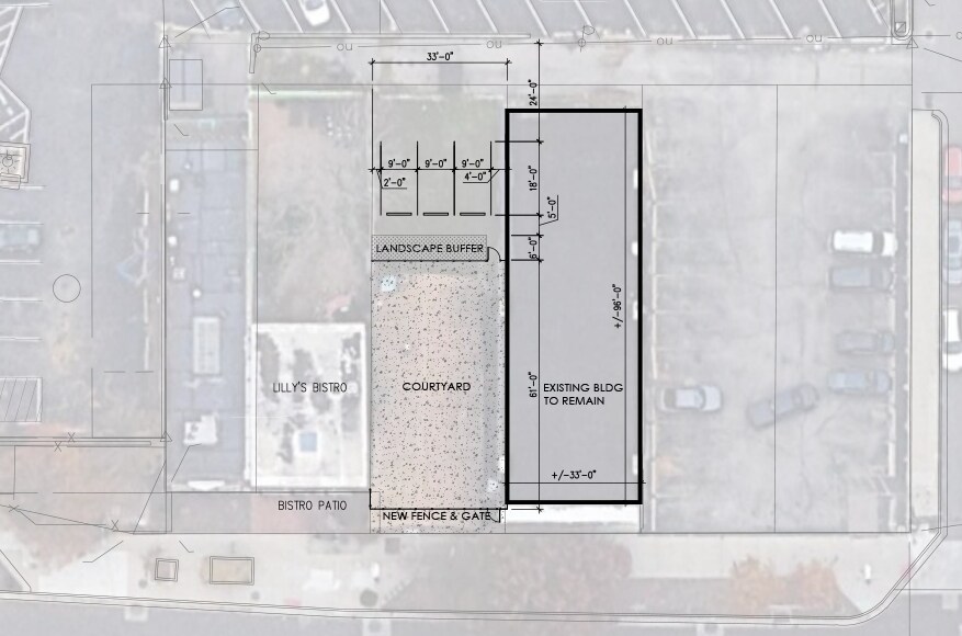
Prime site located in the heart of the Oregon District for Sale or Lease on Fifth St. Zoned for business office, retail, restaurant, or residential uses. Existing building is awaiting renovation and new business. Two floors and basement included. 3,300 SF +/- on each of two floors available for lease. The building will have outdoor seating in their Patio/Courtyard/Entertainment type area with gated fence area between Lilly's Bistro and the building. Pine Street paid parking lot right next to building. Just blocks from two hotels and two more are under construction. One of the earliest surviving combinations of commercial and residential architecture in Dayton. Brick and wood structure, ripe for renovation.
- Le taux de location ne comprend pas les services publics, les services de bâtiment ou les dépenses immobilières.
- Convient pour 9 à 27 personnes
- Peut être associé à un ou plusieurs espaces supplémentaires pour obtenir jusqu’à 6 600 pi² d’espace adjacent.
- 0.6 mile from US 35
- 1 mile from I-75
- Heavy traffic area
- 1.3 Miles from the University of Dayton
- RTA Bus Route 12 stop is directly across 5th St
2e étage
Prime site located in the heart of the Oregon District for Sale or Lease on Fifth St. Zoned for business office, retail, restaurant, or residential uses. Existing building is awaiting renovation and new business. Two floors and basement included. 3,300 SF +/- on each of two floors available for lease. The building will have outdoor seating in their Patio/Courtyard/Entertainment type area with gated fence area between Lilly's Bistro and the building. Pine Street paid parking lot right next to building. Just blocks from two hotels and two more are under construction. One of the earliest surviving combinations of commercial and residential architecture in Dayton. Brick and wood structure, ripe for renovation.
- Le taux de location ne comprend pas les services publics, les services de bâtiment ou les dépenses immobilières.
- Convient pour 9 à 17 personnes
- Peut être associé à un ou plusieurs espaces supplémentaires pour obtenir jusqu’à 6 600 pi² d’espace adjacent.
- 0.6 mile from US 35
- 1 mile from I-75
- Heavy traffic area
- 1.3 Miles from the University of Dayton
- RTA Bus Route 12 stop is directly across 5th St
Types de loyers
Le type et le montant du loyer que le locataire (preneur) est tenu de payer au propriétaire (bailleur) sur la durée du bail sont négociés avant la signature du bail par les deux parties. Le type de loyer varie selon les services fournis. Par exemple, le prix d’un loyer hypernet est habituellement inférieur à celui d’un bail à service complet puisque le locataire est tenu d’assumer des dépenses additionnelles par rapport au loyer de base. Contactez le courtier inscripteur pour tout connaître sur les frais connexes et additionnels associés à chaque type de loyer.
1. Service complet: Un taux de location qui comprend des services standards liés à l’immeuble fournis par le propriétaire dans le cadre d’une location annuelle de base.
2. Loyer supernet: Le locataire paie seulement deux des frais de l’immeuble. Le propriétaire et le locataire déterminent ces frais spécifiques avant la signature du bail.
3. Loyer hypernet: Un bail en vertu duquel le locataire est responsable de tous les frais liés à sa part proportionnelle d’occupation de l’immeuble.
4. Brut modifié: Le loyer brut modifié désigne un type général de taux de location dans lequel le locataire est habituellement responsable de sa part proportionnelle d’un ou de plusieurs frais. C’est le propriétaire qui paie les frais restants. Considérez les structures tarifaires courantes suivantes applicables aux loyers bruts modifiés: 4. Plus les services: Un type de bail brut modifié suivant lequel le locataire est responsable de sa part proportionnelle des coûts des services publics, en plus du loyer. 4. Plus le nettoyage: Un type de bail brut modifié suivant lequel le locataire est responsable de sa part proportionnelle des coûts de nettoyage, en plus du loyer. 4. Plus l'électricité: Un type de bail brut modifié suivant lequel le locataire est responsable de sa part proportionnelle des coûts d’électricité, en plus du loyer. 4. Plus l’électricité et le nettoyage: Un type de bail brut modifié dans lequel le locataire est responsable de sa part proportionnelle des coûts d’électricité et de nettoyage, en plus du loyer. 4. Plus les services publics et le nettoyage: Un type de bail brut modifié dans lequel le locataire est responsable de sa part proportionnelle des coûts des services publics et de nettoyage, en plus du loyer. 4. Bail industriel brut: Un type de bail brut modifié dans lequel le locataire paie un ou plusieurs des frais, en plus du loyer. Le propriétaire et le locataire déterminent ces frais spécifiques avant la signature du bail.
5. L’électricité est à la charge du locataire: Le propriétaire paie pour tous les services et le locataire est responsable de sa propre utilisation de l’éclairage et des prises électriques dans l’espace qu’il occupe.
6. Négociable ou sur demande: Cette option est utilisée lorsque le contact de location ne précise pas le type de loyer ou de service.
7. À déterminer: À déterminer ; utilisé pour les immeubles dont le type de services ou de loyer n’est pas connu, souvent quand l’immeuble n’est pas encore construit.
Faits sur la propriété
| Superficie totale disponible | 6 600 pi² | Superficie commerciale brute | 6 600 pi² |
| Type de propriété | Commerce de détail | Année de construction | 1900 |
| Sous-type de propriété | Bien à usage mixte |
| Superficie totale disponible | 6 600 pi² |
| Type de propriété | Commerce de détail |
| Sous-type de propriété | Bien à usage mixte |
| Superficie commerciale brute | 6 600 pi² |
| Année de construction | 1900 |
À propos de la propriété
Bâtiment existant en attente de rénovation et nouvelle entreprise. Deux étages et sous-sol. Situé au cœur du district de l'Oregon, sur le site d'affaires, de restaurant, de commerce de détail ou de bureaux Fifth St. Prime. L'édifice sera doté d'un espace extérieur de type patio/sièges et divertissements entre le Lilly's Bistro Building et l'emplacement. L'immeuble est à vendre ou à louer.
- Ligne d'autobus
Principaux détaillants à proximité
Présenté par
341-343 E. 5th St. Dayton, Oh | 343 E 5th St
Hmm, il semble y avoir eu une erreur lors de l’envoi de votre message. Veuillez réessayer.
Merci! Votre message a été envoyé.
