Votre courriel a été envoyé.
351 US Hwy 22
Bridgewater, NJ 08807
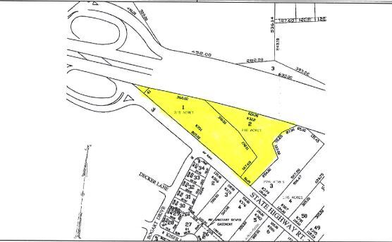
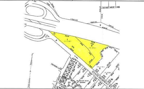
5.476 Acres Rt 22 & Rt 28 Bridgewater · Terrain À vendre
·
5,47 AC


Certaines informations ont été traduites automatiquement.
Faits sur la propriété Sous contrat
| Type de vente | Investissement | Sous-type de propriété | Terrain commercial |
| Nombre de lots | 1 | Taille totale du lot | 5,47 AC |
| Type de propriété | Terrain | ||
| Zonage | C3 | ||
| Type de vente | Investissement |
| Nombre de lots | 1 |
| Type de propriété | Terrain |
| Sous-type de propriété | Terrain commercial |
| Taille totale du lot | 5,47 AC |
| Zonage | C3 |
1 Lot disponible
Lot
| Prix | 2 962 698 $ CAD | Taille du lot | 5,47 AC |
| Prix par AC | 541 626,68 $ CAD |
| Prix | 2 962 698 $ CAD |
| Prix par AC | 541 626,68 $ CAD |
| Taille du lot | 5,47 AC |
5,476 acres dans la zone commerciale C-3 • L'un des derniers sites disponibles sur le corridor Est de la route 22 • Façades de 994 pieds sur la route 28 et 960' sur la route 22 Est • C-3 Utilisations permises comprennent : les établissements médicaux, les bureaux et les résidences assistées
Description
5,476 acres dans la zone commerciale C-3• L'un des derniers sites restants disponibles dans le corridor 22e Est • 994 pi de façade sur la route 28 et 960' sur la route 22 Est• Utilisations permises par le C-3 : installations médicales/bureautiques/services d'aide à la vie autonome • Eau-égout de 8 po sur place • Topo, Meets & Bounds, nivellement et relevés des services publics sur le dossier• Offert à : 2 175 000$ \
