Votre courriel a été envoyé.
3518-3536 Shelbyville Hwy Lot • Terrain commercial • 5,22 Acres • 6 889 000 $ CAD • Murfreesboro, TN 37127



Certaines informations ont été traduites automatiquement.
FAITS SAILLANTS DE L'INVESTISSEMENT
- Nombre de trafic intense
FAITS SUR LA PROPRIÉTÉ
1 LOT DISPONIBLE
Lot
| Prix | 6 889 000 $ CAD | Taille du lot | 5,22 AC |
| Prix par AC | 1 319 731,79 $ CAD |
| Prix | 6 889 000 $ CAD |
| Prix par AC | 1 319 731,79 $ CAD |
| Taille du lot | 5,22 AC |
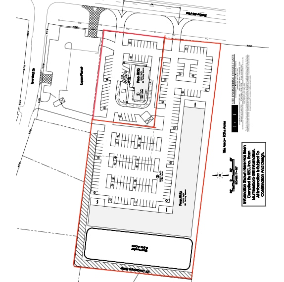
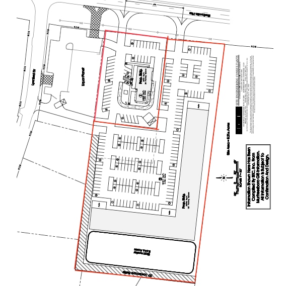
Excellente occasion de développement commercial sur l'autoroute Shelbyville à Murfreesboro. Cette propriété de 5,21 acres offre une excellente façade routière, une visibilité élevée et des plans de développement commerciaux approuvés. Zoné commercial, ce site est idéal pour le commerce de détail, le bureau,
DESCRIPTION
Excellente occasion de développement commercial sur l'autoroute Shelbyville à Murfreesboro. Cette propriété de 5,21 acres offre une excellente façade routière, une visibilité élevée et des plans de développement commerciaux approuvés. Zoné commercial, ce site est idéal pour les projets commerciaux, de bureaux ou à usage mixte. Située dans un corridor à forte croissance, la propriété est entourée de développements résidentiels et commerciaux en expansion, offrant une solide clientèle et un potentiel d'investissement. Les principales caractéristiques comprennent un emplacement stratégique avec un nombre élevé de trafic, un accès pratique à l'I-24 et un chemin simplifié vers la construction avec des plans d'aménagement approuvés. Il s'agit d'une occasion rare d'obtenir un site commercial prêt à être installé dans l'une des régions à la croissance la plus rapide de Murfreesboro. Communiquez avec nous dès aujourd'hui pour plus de détails ou pour planifier une visite sur place.
Présenté par
3518-3536 Shelbyville Hwy
Hmm, il semble y avoir eu une erreur lors de l’envoi de votre message. Veuillez réessayer.
Merci! Votre message a été envoyé.
