Votre courriel a été envoyé.
35203 Dixie Hwy Lot • Terrain commercial • 0,6 Acres • 2 043 240 $ CAD • Florida City, FL 33034


Certaines informations ont été traduites automatiquement.
Faits saillants de l'investissement
- Prime frontage on Dixie Hwy with high daily traffic counts
- Minutes from Florida Turnpike and US-1 merge point
- Ideal for QSR, retail, or mixed-use development
- Cleared, level site with utilities at the street
- Surrounded by national retailers and hospitality brands
- Gateway location to the Florida Keys and Everglades
Résumé de l'annonce
Zoning supports a wide range of commercial uses, and the property’s proximity to Homestead and the entrance to Everglades National Park further enhances its long-term value. Whether for a build-to-suit opportunity or land banking, this parcel offers strong fundamentals in a market with limited supply and increasing demand.
Faits sur la propriété
1 Lot disponible
Lot
| Prix | 2 043 240 $ CAD | Taille du lot | 0,60 AC |
| Prix par AC | 3 405 399,92 $ CAD |
| Prix | 2 043 240 $ CAD |
| Prix par AC | 3 405 399,92 $ CAD |
| Taille du lot | 0,60 AC |
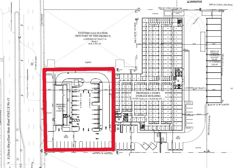
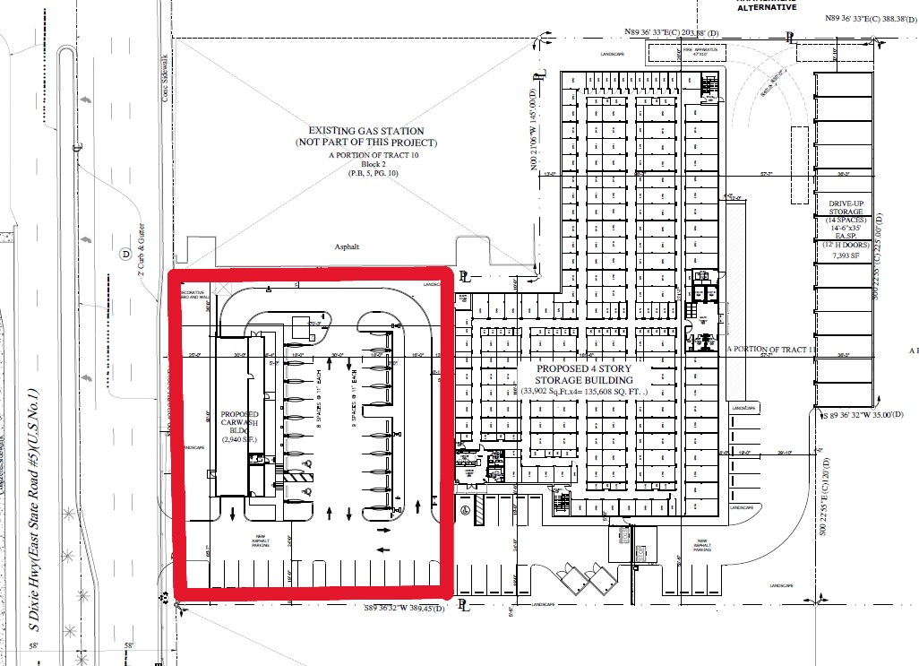
0.6-acre land lot for sale in Florida City, partially wooded with open grassy areas and close to commercial properties along US Hwy !
Description
Situé le long du corridor très visible de Dixie Highway (US-1) à Florida City, ce terrain de 0,6 acre représente une opportunité rare pour les promoteurs et investisseurs cherchant à s’implanter stratégiquement dans l’un des marchés d’entrée à la croissance la plus rapide du sud de la Floride. Avec une façade directe sur une route principale reliant Miami aux Keys de Floride, le site bénéficie d’une visibilité exceptionnelle auprès du trafic local et touristique, ce qui en fait un emplacement idéal pour des projets de commerce de détail, de restauration rapide (QSR), d’automobile ou de développement à usage mixte. La propriété se trouve dans un corridor commercial dynamique entouré de détaillants nationaux, d’hôtels et de prestataires de services, à seulement quelques minutes du Florida Turnpike et du point de jonction de l’US-1. Située à l’extrémité sud du comté de Miami-Dade, elle offre un accès à une base résidentielle en pleine croissance ainsi qu’à un flux constant de visiteurs saisonniers se dirigeant vers le sud. Le terrain est dégagé et nivelé, avec des services publics disponibles en bordure de rue, ce qui simplifie le processus de développement.
Impôts fonciers
| Numéro de lot | 16-7930-001-0313 | Évaluation des bâtiments | 0 $ CAD |
| Évaluation du terrain | 0 $ CAD | Évaluation totale | 923 989 $ CAD |
Impôts fonciers
Présenté par
Stor-All Storage
35203 Dixie Hwy
Hmm, il semble y avoir eu une erreur lors de l’envoi de votre message. Veuillez réessayer.
Merci! Votre message a été envoyé.
