Votre courriel a été envoyé.
3535 Ross Rd - Multifamily 28 Plus acres Lot • Résidentiel • 28,45 Acres • 2 423 592 $ CAD • Lillington, NC 27546


Certaines informations ont été traduites automatiquement.
FAITS SAILLANTS DE L'INVESTISSEMENT
- Site de développement multifamilial de ±28,45 acres à Lillington
- ±6 km de Central Harnett Hospital Campus, ±9 km de Campbell University et ±5 km de Downtown Lillington
- Appartements, maisons de ville et unités unifamiliales.
RÉSUMÉ DE L'ANNONCE
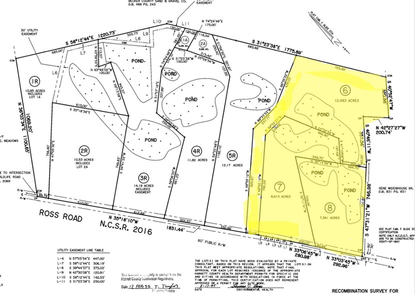
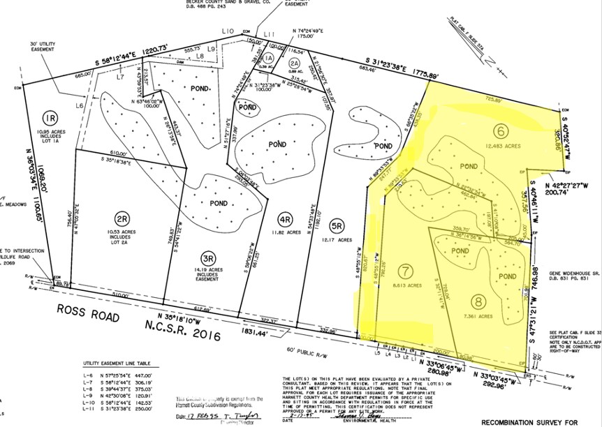
Terrain AC - 28,45 AC total. 3619 chemin Ross - 7,36 AC, 3535 chemin Ross - 12,48 AC, 3533, chemin Ross - 8,61 AC
Niveau topographique
Terres brutes
Utilisation proposée : unités d'habitation, maisons de ville et maisons unifamiliales
ÉGOUT : Possibilité de raccordement à la conduite principale de force de 20 po. La force principale Erwin-Harnett longe l'autre côté de la rue. Le comté de Harnett a actuellement un délai de quatre à six semaines pour répondre aux demandes d'enregistrement et de capacité.
EAU : Une conduite d'eau de 8 po du comté de Harnett longe la façade de la propriété.
Zoné RA-30. ? Les projets multifamiliaux sont une utilisation spéciale, l'approbation du Conseil d'adaptation est nécessaire plutôt qu'un changement de zonage. Les projets multifamiliaux peuvent avoir jusqu'à 9 unités/acre. Cela serait nécessaire pour les maisons de ville, les appartements et les lotissements unifamiliaux.
Améliorations routières : ? Le plan pour les vélos, les piétons et les voies vertes du comté de Harnett précise certaines améliorations qui pourraient être nécessaires le long de la route.
FAITS SUR LA PROPRIÉTÉ
1 LOT DISPONIBLE
Lot 6,7 & 8
| Prix | 2 423 592 $ CAD | Taille du lot | 28,45 AC |
| Prix par AC | 85 187,78 $ CAD |
| Prix | 2 423 592 $ CAD |
| Prix par AC | 85 187,78 $ CAD |
| Taille du lot | 28,45 AC |
Site de développement à usage mixte de ±28,45 acres à Lillington, en Caroline du Nord. Utilisation maximale et optimale, multifamiliale, avec la possibilité d'accueillir des appartements, des maisons de ville et des unités unifamiliales. Prix de vente : 3 millions de dollars - 3 lots continus totalisant 28,45 acres
DESCRIPTION
Site de développement à usage mixte de ±28,45 acres à Lillington, en Caroline du Nord. Utilisation maximale et optimale, multifamiliale, avec la possibilité d'accueillir des appartements, des maisons de ville et des unités unifamiliales. ±6 km de Central Harnett Hospital Campus, ±9 km de Campbell University et ±5 km de Downtown Lillington 3 lots continus totalisant 28,45 acres Terrain AC - 28,45 AC total. 3619 chemin Ross - 7,36 AC, 3535 chemin Ross - 12,48 AC, 3533, chemin Ross - 8,61 AC Niveau topographique ÉGOUT : Possibilité de raccordement à la conduite principale de force de 20 po. La force principale Erwin-Harnett longe l'autre côté de la rue. Le comté de Harnett a actuellement un délai de quatre à six semaines pour répondre aux demandes d'enregistrement et de capacité. EAU : Une conduite d'eau de 8 po du comté de Harnett longe la façade de la propriété. Zoné RA-30. ? Les projets multifamiliaux sont une utilisation spéciale, l'approbation du Conseil d'adaptation est nécessaire plutôt qu'un changement de zonage. Les projets multifamiliaux peuvent avoir jusqu'à 9 unités/acre. Cela serait nécessaire pour les maisons de ville, les appartements et les lotissements unifamiliaux. Améliorations routières : ? Le plan pour les vélos, les piétons et les voies vertes du comté de Harnett précise certaines améliorations qui pourraient être nécessaires le long de la route. Terres brutes Utilisation proposée : unités d'habitation, maisons de ville et maisons unifamiliales
Présenté par
3535 Ross Rd - Multifamily 28 Plus acres
Hmm, il semble y avoir eu une erreur lors de l’envoi de votre message. Veuillez réessayer.
Merci! Votre message a été envoyé.
