Se Connecter/S’inscrire
Votre courriel a été envoyé.
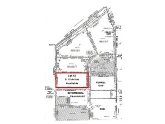
Hart Industrial Park, Lot 12 362 S 62nd St Terrain à louer de 5,13 acres • Terrain industriel • Kansas City, KS 66111



Certaines informations ont été traduites automatiquement.
FAITS SAILLANTS
- Storage Lot
- Office Building
- Excellent Highway Access
LOT Disponible
Afficher les taux de location en
| Taux de location |
|
Taille du lot | 5,13 AC |
| Durée du bail | Négociable |
| Taux de location | |
| Durée du bail | Négociable |
| Taille du lot | 5,13 AC |
5 Acres of Developed Industrial Outside Storage For Lease
APERÇU DE LA PROPRIÉTÉ
5,13 acres d'entreposage extérieur industriel À LOUER Surface dure fabriquée avec fûtes d'asphalte Immeuble de bureaux de 1 300 pieds pieds 2 sur place Excellent accès aux autoroutes I-635 et I-70 Entièrement clôturé avec portail électrique
FAITS SUR LA PROPRIÉTÉ
1 1
1 de 4
VIDÉOS
VISITE EXTÉRIEURE 3D MATTERPORT
VISITE 3D MATTERPORT
PHOTOS
VUE DEPUIS LA RUE
RUE
CARTE
1 de 1
Présenté par
Hart Industrial Park, Lot 12 | 362 S 62nd St
Vous êtes déjà membre? Connectez-vous
Hmm, il semble y avoir eu une erreur lors de l’envoi de votre message. Veuillez réessayer.
Merci! Votre message a été envoyé.
