Se Connecter/S’inscrire
Votre courriel a été envoyé.
Certaines informations ont été traduites automatiquement.
Faits saillants de l'investissement
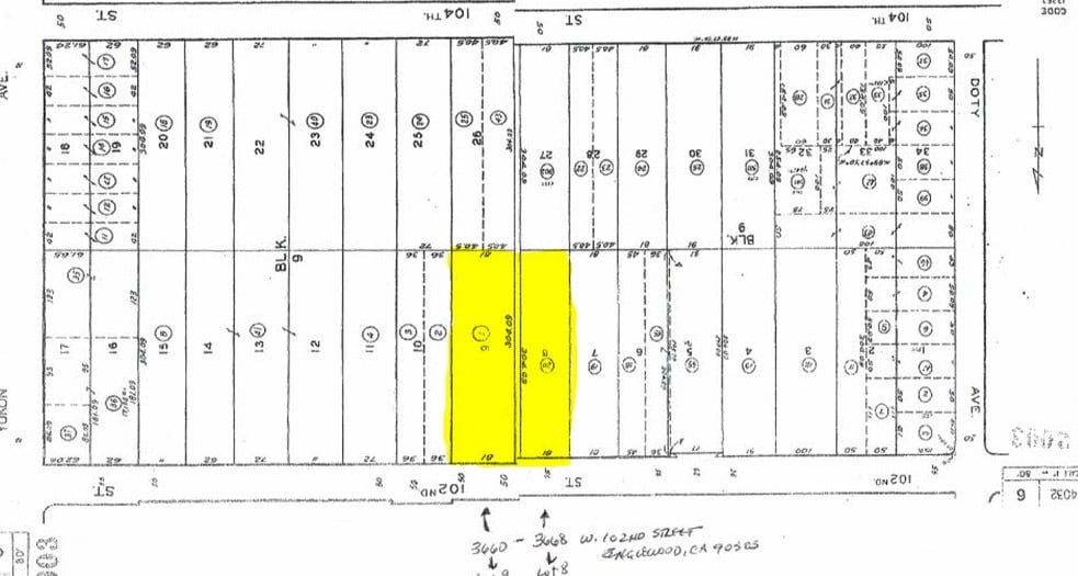
- Two adjacent parcels: 3660 W 102nd St (24,660 sq ft) & 3668 W 102nd St (24,695 sq ft) combined = 49,355 total square feet
- Can be sold separately or together -scale to suit buyer (single-parcel buyer or larger development)
- Good Walk Score / Transit options nearby - supports mixed-use, workforce housing, or hospitality uses
- Zoning: INM1L- flexible for industrial, commercial, office, hotel or mixed-use concepts
- Highly strategic location near Hollywood Park / SoFi Stadium / major entertainment nodes - strong event-driven demand
Résumé de l'annonce
Stiegler | Takahashi Group is pleased to present 3660 & 3668 W 102nd St, two adjacent parcels totaling 49,355 sq ft
in the heart of Inglewood’s entertainment redevelopment zone, near SoFi Stadium, The Forum, and Hollywood Park.
Zoned INM1L, the lots offer flexible opportunities for industrial, commercial, office, hotel, or mixed-use development
and can be sold separately or together. With strong event-driven demand and excellent walkability and transit
access, this is a rare opportunity for investors and developers to capitalize on one of Inglewood’s most dynamic
corridors.
in the heart of Inglewood’s entertainment redevelopment zone, near SoFi Stadium, The Forum, and Hollywood Park.
Zoned INM1L, the lots offer flexible opportunities for industrial, commercial, office, hotel, or mixed-use development
and can be sold separately or together. With strong event-driven demand and excellent walkability and transit
access, this is a rare opportunity for investors and developers to capitalize on one of Inglewood’s most dynamic
corridors.
Faits sur la propriété Sous contrat
1 Lot disponible
Lot
| Prix | 8 252 298 $ CAD | Taille du lot | 1,13 AC |
| Prix par AC | 7 283 356,35 $ CAD |
| Prix | 8 252 298 $ CAD |
| Prix par AC | 7 283 356,35 $ CAD |
| Taille du lot | 1,13 AC |
Two adjacent parcels: 3660 W 102nd St (24,660 sq ft) & 3668 W 102nd St (24,695 sq ft) combined = 49,355 total square feet. Zoning: INM1L- flexible for industrial, commercial, office, hotel or mixed-use concepts. Highly strategic location!
1 1
Moyennement praticable à pied
60/100
Exceptionnellement facile d’accès en voiture
90/100
Transports en commun relativement accessibles
50/100
Plutôt praticable en vélo
50/100
Impôts fonciers
| Numéros de lot | Évaluation des bâtiments | 0 $ CAD | |
| Évaluation du terrain | 2 031 778 $ CAD | Évaluation totale | 2 031 778 $ CAD |
Impôts fonciers
Numéros de lot
Évaluation du terrain
2 031 778 $ CAD
Évaluation des bâtiments
0 $ CAD
Évaluation totale
2 031 778 $ CAD
1 de 4
Vidéos
Visite extérieure 3D Matterport
Visite 3D Matterport
Photos
Vue depuis la rue
Rue
Carte
1 de 1
Présenté par
Entreprise non fournie
3660-3668 W 102nd St
Vous êtes déjà membre? Connectez-vous
Hmm, il semble y avoir eu une erreur lors de l’envoi de votre message. Veuillez réessayer.
Merci! Votre message a été envoyé.



