Votre courriel a été envoyé.
3660 Schalker Dr - Prime Location I ±9.29 Acre Laydown Yard Lot • Terrain industriel • 9,29 Acres • Houston, TX 77026



Certaines informations ont été traduites automatiquement.
FAITS SAILLANTS DE L'INVESTISSEMENT
- ±9.29 Acre Laydown Yard
- Fenced, gated
- Independent Internet line
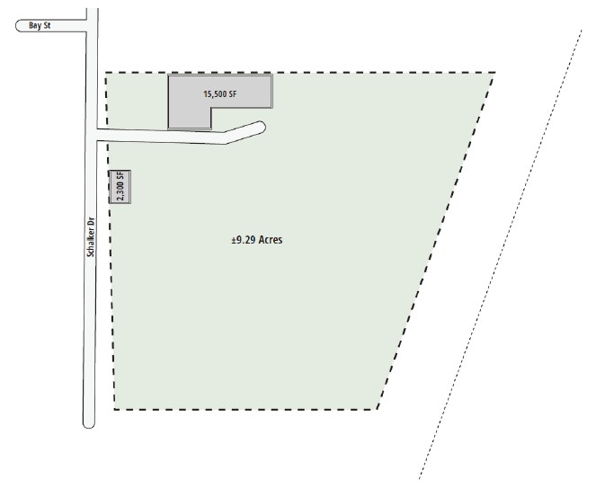
- Total Buildings: ±17,800 SF
- City of Houston utilities
RÉSUMÉ DE L'ANNONCE
Property Features
• Land Size: ±9.29 AC (404,672 SF)
• Total Buildings: ±17,800 SF
• Building A:
- ±15,500 SF; minimal office
- Two grade-level loading doors
• Building B:
- ±2,300 SF; minimal office
- Two grade-level loading doors
• Fenced, gated
• City of Houston utilities
• Independent Internet line
FAITS SUR LA PROPRIÉTÉ
| Type de vente | Investissement ou propriétaire utilisateur | Utilisation proposée | Cour d’entreposage des entrepreneurs |
| Nombre de lots | 1 | Taille totale du lot | 9,29 AC |
| Type de propriété | Terrain | Zone de développement économique |
Oui
|
| Sous-type de propriété | Terrain industriel |
| Type de vente | Investissement ou propriétaire utilisateur |
| Nombre de lots | 1 |
| Type de propriété | Terrain |
| Sous-type de propriété | Terrain industriel |
| Utilisation proposée | Cour d’entreposage des entrepreneurs |
| Taille totale du lot | 9,29 AC |
| Zone de développement économique |
Oui |
1 LOT DISPONIBLE
Lot
| Taille du lot | 9,29 AC |
| Taille du lot | 9,29 AC |
• Land Size: ±9.29 AC (404,672 SF) • Total Buildings: ±17,800 SF • Fenced, gated • City of Houston utilities • Independent Internet line
DESCRIPTION
Colliers, au nom du propriétaire, est ravi de proposer à la location cet ensemble industriel composé de deux bâtiments, destiné à un seul locataire. Situé sur un terrain de ±9,29 acres, il bénéficie d’un emplacement stratégique entre quatre autoroutes principales (I-10, I-610, I-45 et I-69). ### Caractéristiques de la propriété • **Superficie du terrain** : ±9,29 acres (404 672 pi²) • **Superficie totale des bâtiments** : ±17 800 pi² • **Bâtiment A** : - ±15 500 pi²; espace bureau minimal - Deux portes de chargement au niveau du sol • **Bâtiment B** : - ±2 300 pi²; espace bureau minimal - Deux portes de chargement au niveau du sol • Clôturé et sécurisé par une barrière • Services publics de la ville de Houston • Ligne Internet indépendante
Présenté par
3660 Schalker Dr - Prime Location I ±9.29 Acre Laydown Yard
Hmm, il semble y avoir eu une erreur lors de l’envoi de votre message. Veuillez réessayer.
Merci! Votre message a été envoyé.
