Se Connecter/S’inscrire
Votre courriel a été envoyé.
36671 Sussex Hwy 5 700 pi² Commerce de détail Immeuble Delmar, DE 19940 1 798 998 $ CAD (315,61 $ CAD/pi²)



Certaines informations ont été traduites automatiquement.
FAITS SAILLANTS DE L'INVESTISSEMENT
- On Sussex Hwy
- Easy Ingress & Egress
RÉSUMÉ DE L'ANNONCE
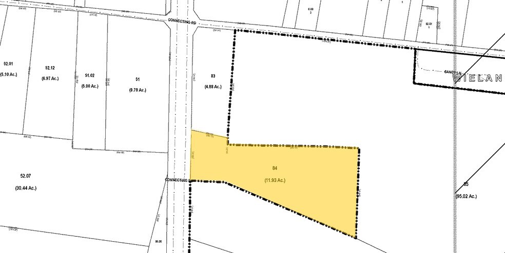
Rare Commercial Opportunity in Tax-Free Delmar! 11.92± acres with 360' direct frontage on Route 13 and two access points in a high-visibility corridor. The site currently buildings a 3,700 +/- SF Former auto shop plus 2,000 +/- SF former office, with a large secure fenced yard — ideal for automotive, service, or industrial use. Front zoned C-1 and back zoned C-3, and conditional use in place offering broad permitted uses: convenience store/fuel station, retail, offices, warehouse/self-storage, restaurants, medical, institutional, etc. Over 360 ft of road frontage, flexible layout, and strong redevelopment potential. Don’t miss this rare parcel with immediate use and long-term upside. Contact for details and to schedule a tour.
FAITS SUR LA PROPRIÉTÉ
Type de vente
Investissement ou propriétaire utilisateur
Type de propriété
Commerce de détail
Sous-type de propriété
Réparation automatique
Taille du bâtiment
5 700 pi²
Classe d’immeuble
C
Année de construction
1990
Prix
1 798 998 $ CAD
Prix par pi²
315,61 $ CAD
Location
Unique
Hauteur du bâtiment
1 étage
Coefficient d’occupation des sols de l’immeuble
0,01
Taille du lot
11,92 AC
Zonage
C-1 & C-3 - soutient une utilisation commerciale à haute intensité avec de grandes empreintes de bâtiments et des exigences importantes en matière de stationnement
Façade
360’ sur Sussex Highway
Impôts fonciers
| Numéro de lot | 532-13.00-84.00 | Évaluation des bâtiments | 29 702 $ CAD |
| Évaluation du terrain | 11 711 $ CAD | Évaluation totale | 41 413 $ CAD |
Impôts fonciers
Numéro de lot
532-13.00-84.00
Évaluation du terrain
11 711 $ CAD
Évaluation des bâtiments
29 702 $ CAD
Évaluation totale
41 413 $ CAD
1 de 4
VIDÉOS
VISITE EXTÉRIEURE 3D MATTERPORT
VISITE 3D MATTERPORT
PHOTOS
VUE DEPUIS LA RUE
RUE
CARTE
Présenté par
36671 Sussex Hwy
Vous êtes déjà membre? Connectez-vous
Hmm, il semble y avoir eu une erreur lors de l’envoi de votre message. Veuillez réessayer.
Merci! Votre message a été envoyé.
