Se Connecter/S’inscrire
Votre courriel a été envoyé.
The Villa 3690 S Eastern Ave 20 728 pi² 100% Loué Bureau Immeuble Las Vegas, NV 89169 5 878 314 $ CAD (283,59 $ CAD/pi²)



Certaines informations ont été traduites automatiquement.
FAITS SAILLANTS DE L'INVESTISSEMENT
- PROPERTY SIZE (SF) ±20,728 SF
- ZONING (CP) Commercial Professional
- ELEVATOR 1
RÉSUMÉ DE L'ANNONCE
SALE PRICE $4,249,240 / $205 PSF
CATEGORY Office - Two Story Multi-Tenant
PROPERTY ADDRESS 3690 S Eastern Ave,
Las Vegas, NV 89169
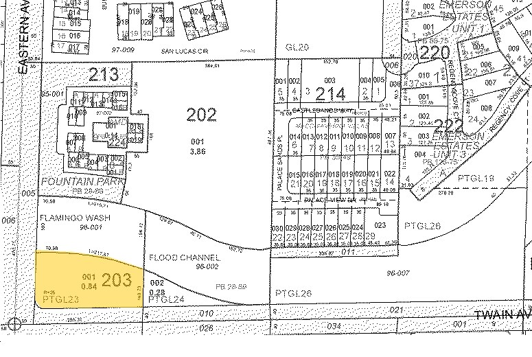
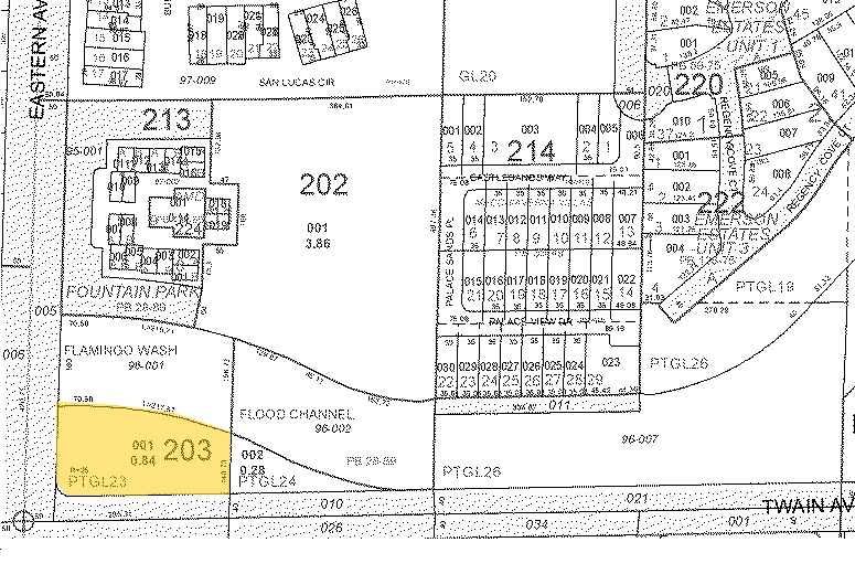
APN 162-13-203-001
PROPERTY SIZE (SF) ±20,728 SF
LOT SIZE 0.84 AC (36,590 SF)
YEAR BUILT 1987
STORIES 2
ELEVATOR 1
ZONING (CP) Commercial Professional
PARKING SPACES Covered parking area ±8,098 SF 70
total parking spaces
STORAGE BAY With roll-up door cell towner N.A.P.
CATEGORY Office - Two Story Multi-Tenant
PROPERTY ADDRESS 3690 S Eastern Ave,
Las Vegas, NV 89169
APN 162-13-203-001
PROPERTY SIZE (SF) ±20,728 SF
LOT SIZE 0.84 AC (36,590 SF)
YEAR BUILT 1987
STORIES 2
ELEVATOR 1
ZONING (CP) Commercial Professional
PARKING SPACES Covered parking area ±8,098 SF 70
total parking spaces
STORAGE BAY With roll-up door cell towner N.A.P.
FAITS SUR LA PROPRIÉTÉ
Type de vente
Investissement
Type de propriété
Bureau
Taille du bâtiment
20 728 pi²
Classe d’immeuble
B
Année de construction
1987
Prix
5 878 314 $ CAD
Prix par pi²
283,59 $ CAD
Pourcentage loué
100%
Location
Multiples
Hauteur du bâtiment
2 étages
Superficie de plancher typique
10 364 pi²
Dalle à dalle
9’
Coefficient d’occupation des sols de l’immeuble
0,57
Taille du lot
0,84 AC
Zonage
CP - Professionnel commercial
Stationnement
59 places (2,85 places par 1 000 pi² loué)
COMMODITÉS
- Accès 24 heures
- Ligne d'autobus
- Affichage
1 1
Impôts fonciers
| Numéro de lot | 162-13-203-001 | Évaluation des bâtiments | 790 342 $ CAD |
| Évaluation du terrain | 175 665 $ CAD | Évaluation totale | 966 007 $ CAD |
Impôts fonciers
Numéro de lot
162-13-203-001
Évaluation du terrain
175 665 $ CAD
Évaluation des bâtiments
790 342 $ CAD
Évaluation totale
966 007 $ CAD
1 de 15
VIDÉOS
VISITE EXTÉRIEURE 3D MATTERPORT
VISITE 3D MATTERPORT
PHOTOS
VUE DEPUIS LA RUE
RUE
CARTE
1 de 1
Présenté par
The Villa | 3690 S Eastern Ave
Vous êtes déjà membre? Connectez-vous
Hmm, il semble y avoir eu une erreur lors de l’envoi de votre message. Veuillez réessayer.
Merci! Votre message a été envoyé.
