Se Connecter/S’inscrire
Votre courriel a été envoyé.
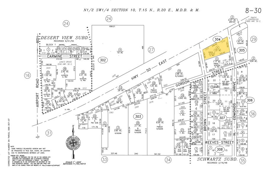
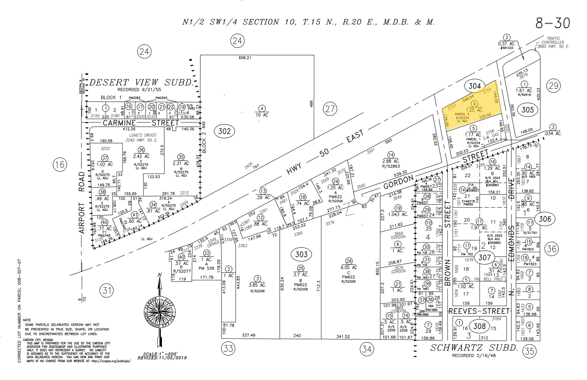
3707 US Highway 50 E 9 528 pi² Commerce de détail Immeuble Carson City, NV 89701 2 874 459 $ CAD (301,69 $ CAD/pi²)

Certaines informations ont été traduites automatiquement.
Faits saillants de l'investissement
- Hwy 50 exposure and great access from Brown Street and N Edmonds Dr.
Résumé de l'annonce
3707 and 3759 are one APN number 5 rental units fully occupied on property. Seller will lease back or relocate.
Faits sur la propriété
Type de vente
Investissement ou propriétaire utilisateur
Condition de vente
Ventes de portefeuille
Type de propriété
Commerce de détail
Sous-type de propriété
Concessionnaire automobile
Taille du bâtiment
9 528 pi²
Classe d’immeuble
C
Année de construction
1959
Prix
2 874 459 $ CAD
Prix par pi²
301,69 $ CAD
Location
Unique
Hauteur du bâtiment
1 étage
Coefficient d’occupation des sols de l’immeuble
0,17
Taille du lot
1,25 AC
Zonage
GC - Commercial général
Stationnement
150 places (10 places par 1 000 pi² loué)
Façade
381’ sur US Hwy 50
Bike Score®
Très cyclable (72)
Principaux détaillants à proximité
Impôts fonciers
| Numéro de lot | 008-304-04 | Évaluation des bâtiments | 100 166 $ CAD |
| Évaluation du terrain | 312 917 $ CAD | Évaluation totale | 413 083 $ CAD |
Impôts fonciers
Numéro de lot
008-304-04
Évaluation du terrain
312 917 $ CAD
Évaluation des bâtiments
100 166 $ CAD
Évaluation totale
413 083 $ CAD
1 de 2
Vidéos
Visite extérieure 3D Matterport
Visite 3D Matterport
Photos
Vue depuis la rue
Rue
Carte
Présenté par
Lahontan Properties
3707 US Highway 50 E
Vous êtes déjà membre? Connectez-vous
Hmm, il semble y avoir eu une erreur lors de l’envoi de votre message. Veuillez réessayer.
Merci! Votre message a été envoyé.
Votre message a été envoyé !
Activez votre compte LoopNet dès maintenant pour suivre les propriétés, recevoir des alertes en temps réel, gagner du temps sur vos demandes futures et bien plus encore.
